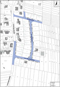
Aufgrund der Bestimmungen des § 36 Landesstraßengesetz Rheinland-Pfalz (LStrG) vom 01.08.1977 in der derzeit geltenden Fassung und dem Beschluss des Ortsgemeinderates Heiligenroth vom 01.07.2025 werden die nachstehend bezeichneten Verkehrsflächen in der Gemarkung Heiligenroth als Gemeindestraßen im Sinne von § 3 Nr. 3 Buchstabe a) LStrG dem öffentlichen Verkehr gewidmet. Die Widmung erstreckt sich auf die nachfolgend genannten Flurstücke; vgl. dazu auch die entsprechenden Einfärbungen im als Anlage 1 beigefügten Lageplan.
| Bezeichnung | Beschreibung | Tag der Verkehrs-übergabe |
| „Verlängerung der Limburger Straße“ Flur 4, Flurstück 4100/8 teilweise und Flur 26, Flurstück 4352/7 teilweise | verlaufend von der „Limburger Straße“ (Flur 4, Flurstück 4100/8), beginnend auf Höhe der Flurstücke (Flur 51, Flurstück 184/6) und (Flur 19, Flurstück 40) und endend auf Höhe der gemeinsamen Grundstücksgrenze der beiden Flurstücke (Flur 19, Flurstück 19 und Flurstück 2350) | nach dem Tage der öffentlichen Bekanntmachung |
| „Am Illbachs-graben“ Flur 19, Flurstück 38 | verlaufend von der „Limburger Straße“ (Flur 26, Flurstück 4352/7) bis zum Beginn des Flurstückes (Flur 19, Flurstück 2359/3) | nach dem Tage der öffentlichen Bekanntmachung |
| „Im Niederfeld“ Flur 19, Flurstück 36 | verlaufend von der Straße „Am Illbachsgraben“ (Flur 19, Flurstück 38) bis zur Straße „Am Beilchen“ (Flur 19, Flurstück 35) | nach dem Tage der öffentlichen Bekanntmachung |
| „Am Beilchen“ Flur 19, Flurstück 33 und Flurstück 35 | verlaufend von der „Limburger Straße“ (Flur 4, Flurstück 4100/8 bis zum Beginn der Flurstücke (Flur 19, Flurstück 41) und (Flur 4, Flurstück 4104/2) | nach dem Tage der öffentlichen Bekanntmachung |
Die Widmung tritt nach dem Tage der öffentlichen Bekanntmachung in Kraft. Ein Plan, aus dem die genaue Lage und der Umfang der gewidmeten Flächen ersichtlich ist, kann während der Dienststunden im Rathaus-Neubau, Konrad-Adenauer-Platz 8, 2. Stock, Zimmer 213, eingesehen werden.
Rechtsbehelfsbelehrung
Gegen diese Verfügung kann innerhalb eines Monats nach Bekanntgabe Widerspruch bei der Verbandsgemeindeverwaltung Montabaur, Konrad-Adenauer-Platz 8, 56410 Montabaur, schriftlich, in elektronischer Form nach § 3a Absatz 2 des Verwaltungsverfahrensgesetzes, schriftformersetzend nach § 3a Absatz 3 des Verwaltungsverfahrensgesetzes und nach § 9a Absatz 5 des Onlinezugangsgesetzes oder zur Niederschrift erhoben werden.