Titel Logo
Das Rathaus - Informationen für die Bürger in der VG Wirges
Ausgabe 7/2024
Amtlicher Teil
Zurück zur vorigen Seite
Zurück zur ersten Seite der aktuellen Ausgabe

Aufstellung des Bebauungsplanes  „FVG Erweiterung“  der Ortsgemeinde Dernbach

Öffentliche Bekanntmachung des Beschlusses und des Inkrafttreten eines Bebauungsplanes

Aufgrund § 10 Baugesetzbuch (BauGB) wird Folgendes bekannt gemacht:

Der Ortsgemeinderat Dernbach hat in seiner Sitzung am 27.09.2023 die Aufstellung des Bebauungsplanes „FVG Erweiterung“ gemäß § 10 Abs. 1 BauGB als Satzung beschlossen.

Der Bebauungsplan wurde aus dem Flächennutzungsplan der Verbandsgemeinde Wirges entwickelt, sodass eine Genehmigung durch die Kreisverwaltung des Westerwaldkreises nach § 10 Abs. 2 BauGB nicht erforderlich war.

Die Satzungsunterlagen können während der allgemeinen Dienststunden von jedermann bei der Verbandsgemeindeverwaltung Wirges, Bauverwaltung, Zimmer 203, Bahnhofstraße 10, 56422 Wirges, eingesehen werden. Über die Inhalte wird auf Verlangen Auskunft erteilt.

Mit der Bekanntmachung tritt die Satzung gemäß § 10 Abs. 3 Satz 4 BauGB in Kraft.

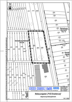
Der räumliche Geltungsbereich des Bebauungsplanes ergibt sich aus der nachfolgend abgedruckten Planskizze.

Diese Planskizze hat keine Rechtsverbindlichkeit, kennzeichnet aber durch die gestrichelte Linie die ungefähre Lage des Plangebietes und dient dem besseren Verständnis der Bekanntmachung.

Der Inhalt dieser öffentlichen Bekanntmachung steht ebenfalls gemäß § 27a Verwaltungsverfahrensgesetz auf der Internetseite der Verbandsgemeinde Wirges www.wirges.de zum Download bereit.

Folgende Hinweise werden gegeben:

A. Hinweis auf die Voraussetzungen für die Geltendmachung der Verletzung von Verfahrens- und Formvorschriften und von Mängeln der Abwägung sowie die Rechtsfolgen nach § 215 Abs. 1 des BauGB

Auf die Beachtlichkeit der Verletzung von Vorschriften gemäß den Bestimmungen des § 214 BauGB wird hingewiesen.

Gemäß § 215 Abs. 2 BauGB wird auf die Voraussetzungen für die Geltendmachung der Verletzung von Verfahrens- und Formvorschriften und Mängeln der Abwägung sowie der Rechtsfolgen des § 215 Abs. 1 BauGB hingewiesen.

Unbeachtlich werden demnach

1.

eine nach § 214 Abs. 1 Satz 1 Nr. 1 bis 3 BauGB beachtliche Verletzung der dort bezeichneten Verfahrens- und Formvorschriften,

2.

eine unter Berücksichtigung des § 214 Abs. 2 BauGB beachtliche Verletzung der Vorschriften über das Verhältnis des Bebauungsplanes und des Flächennutzungsplanes und

3.

nach § 214 Abs. 3 Satz 2 BauGB beachtliche Mängel des Abwägungsvorganges,

wenn sie nicht innerhalb eines Jahres seit Bekanntmachung des Flächennutzungsplanes oder der Satzung schriftlich gegenüber der Gemeinde unter Darlegung des die Verletzung begründenden Sachverhalts geltend gemacht worden sind. § 215 Abs. 1 Satz 1 BauGB gilt entsprechend, wenn Fehler nach § 214 Abs. 2a BauGB beachtlich sind.

B. Hinweis auf die Vorschriften des § 44 Abs. 3 und 4 des BauGB

Gemäß § 44 Abs. 5 BauGB wird auf die Vorschriften des § 44 Abs. 3 Satz 1 und 2 sowie Abs. 4 BauGB über die Entschädigung von durch den Bebauungsplan eintretenden Vermögensnachteilen sowie über die Fälligkeit und das Erlöschen entsprechender Entschädigungsansprüche hingewiesen.

§ 44 Abs. 3 BauGB (Auszug):

Der Entschädigungsberechtigte kann Entschädigung verlangen, wenn die in den §§ 39 bis 42 bezeichneten Vermögensnachteile eingetreten sind. Er kann die Fälligkeit des Anspruchs dadurch herbeiführen, dass er die Leistung der Entschädigung schriftlich bei dem Entschädigungspflichtigen beantragt.

§ 44 Abs. 4 BauGB:

Ein Entschädigungsanspruch erlischt, wenn nicht innerhalb von drei Jahren nach Ablauf des Kalenderjahres, in dem die in Absatz 3 Satz 1 bezeichneten Vermögensnachteile eingetreten sind, die Fälligkeit des Anspruchs herbeigeführt wird.

C. Hinweis auf die Rechtsfolgen nach der Gemeindeordnung

§ 24 Abs. 6 Gemeindeordnung (Auszug):

Satzungen, die unter Verletzung von Verfahrens- oder Formvorschriften dieses Gesetzes oder aufgrund dieses Gesetzes zustande gekommen sind, gelten ein Jahr nach der Bekanntmachung als von Anfang an gültig zustande gekommen. Dies gilt nicht, wenn

1.

die Bestimmungen über die Öffentlichkeit der Sitzung, die Genehmigung, die Ausfertigung oder die Bekanntmachung der Satzung verletzt worden sind,

oder

2.

vor Ablauf der in Satz 1 genannten Frist die Aufsichtsbehörde den Beschluss beanstandet oder jemand die Verletzung der Verfahrens- oder Formvorschriften gegenüber der Gemeindeverwaltung unter Bezeichnung des Sachverhaltes, der die Verletzung begründen soll, schriftlich geltend gemacht hat.

Hat jemand eine Verletzung nach Satz 2 Nr. 2 geltend gemacht, so kann auch nach Ablauf der in Satz 1 genannten Frist jedermann diese Verletzung geltend machen.

Dernbach, 22.01.2024
Ferdinand Düber, Ortsbürgermeister