Titel Logo
Mitteilungsblatt Verbandsgemeinde Asbach
Ausgabe 1/2025
Amtliche Bekanntmachungen
Zurück zur vorigen Seite
Zurück zur ersten Seite der aktuellen Ausgabe

Bekanntmachung über das Inkrafttreten des Bebauungsplan „Gewerbegebiet an der Thelenberger Straße“ der Ortsgemeinde Asbach

gemäß § 10 Baugesetzbuch (BauGB)

Der Gemeinderat der Ortsgemeinde Asbach hat am 12.09.2024 in öffentlicher Sitzung den Bebauungsplan „Gewerbegebiet an der Thelenberger Straße“ nach § 10 Abs. 1 BauGB als Satzung beschlossen.

Bestandteil der Satzung ist die Planurkunde und die textlichen Festsetzungen einschließlich der Aufnahme von auf Landesrecht beruhende Regelungen als örtliche Bauvorschriften über die Gestaltung von und Anforderungen von Werbeanlagen (§ 88 Landesbauordnung Rheinland-Pfalz). Eine Begründung mit Umweltbericht ist beigefügt. Die beschlossene Satzung und die Bebauungsplanurkunde mit den textlichen Festsetzungen wurden am 09. Dezember 2024 ausgefertigt.

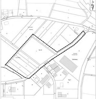
Planbereichsbeschreibung

Innerhalb des Planbereiches liegen folgende Grundstücke:

Gemarkung Schöneberg

Flur 7, Flurstück-Nr. 62/10 (tlw.) sowie

Gemarkung Elsaff-Asbach

Flur 15, Flurstück-Nrn. 15/55 (tlw.), 54, 53, 52, 51, 86/2 (tlw.), 87, 85 (tlw.), 50, 84, 42 (tlw.), 41 (tlw.), 39/1 (tlw.), 43 (tlw.), 44 (tlw.), 45 (tlw.) und 46 (tlw.)

Auf den beiliegenden Übersichtsplan wird verwiesen.

Außerhalb des Plangebietes sollen auf folgenden Flächen funktionsgerechte Kompensationsmaßnahmen durchgeführt werden (= externe Ausgleichsflächen):

Gemarkung Schöneberg

Flur 43, Flurstück 105/50

Gemarkung Limbach

Flur 43, Flurstücke 27 und 28

Flur 17, Flurstück 68

Der Bebauungsplan tritt gemäß § 10 Abs. 3 BauGB mit dieser Bekanntmachung in Kraft. Die textlichen Festsetzungen mit einer Begründung und die hierin erwähnten technischen Regelwerke, die zusammenfassende Erklärung sowie der Umweltbericht und die Planurkunde werden ab sofort bei der

Verbandsgemeindeverwaltung Asbach,

Bauabteilung,

Flammersfelder Str. 1,

53567 Asbach,

während der Dienststunden zu jedermanns Einsicht bereit gehalten. Über den Inhalt wird auf Verlangen Auskunft erteilt.

In Anwendung des § 10a Abs. 2 BauGB ist der in Kraft getretene Bebauungsplan mit der Begründung und der zusammenfassenden Erklärung im pdf-Format unter www.vg-asbach.de / Bebauungsplan Online abgeschlossen elektronisch abrufbar und ebenso über das zentrale Internetportal des Landes „geoportal.rlp“ zugänglich.

Hinweise:

A.

Auf die Vorschriften des § 44 Abs. 3 Satz 1 und 2 sowie Abs. 4 BauGB über die fristgerechte Geltendmachung etwaiger Entschädigungsansprüche für Eingriffe in eine bisher zulässige Nutzung durch diesen Bebauungsplan und über das Erlöschen von Entschädigungsansprüchen wird hingewiesen.

Ein Entschädigungsanspruch erlischt, wenn nicht innerhalb von drei Jahren nach Ablauf des Kalenderjahres, in dem die in § 44 Abs. 3 Satz 1 bezeichneten Vermögensnachteile eingetreten sind, die Fälligkeit des Anspruches herbeigeführt wird.

B.

Auf die Vorschriften zur Beachtlichkeit der Verletzung von Vorschriften über die Aufstellung der Satzungen gemäß § 214 BauGB wird hingewiesen.

Gemäß § 215 Abs. 1 Nr. 1 bis 3 BauGB werden eine beachtliche Verletzung der in § 214 Abs. 1 Satz 1 Nr. 1 bis 3 BauGB bezeichneten Verfahrens- und Formvorschriften, eine unter Berücksichtigung des § 214 Abs. 2 BauGB beachtliche Verletzung der Vorschriften über das Verhältnis des Bebauungsplanes und des Flächennutzungsplanes und nach § 214 Abs. 3 Satz 2 BauGB beachtliche Mängel des Abwägungsvorganges unbeachtlich, wenn sie nicht innerhalb eines Jahres seit Bekanntmachung der Satzung schriftlich gegenüber der Ortsgemeinde über die Verbandsgemeindeverwaltung Asbach, Flammersfelder Straße 1, 53567 Asbach geltend gemacht worden sind. Der Sachverhalt, der die Verletzung oder den Mangel begründen soll, ist darzulegen.

C.

Satzungen, die unter Verletzung von Verfahrens- oder Formvorschriften der Gemeindeordnung oder auf Grund der Gemeindeordnung zustande gekommen sind, gelten gemäß § 24 Absatz 6 der Gemeindeordnung ein Jahr nach der Bekanntmachung als von Anfang an gültig zustande gekommen.

Dies gilt nicht, wenn

1. die Bestimmungen über die Öffentlichkeit der Sitzung, die Genehmigung, die Ausfertigung oder die Bekanntmachung der Satzung verletzt worden sind,

oder

2.

vor Ablauf der in Satz 1 genannten Frist die Aufsichtsbehörde den Beschluss beanstandet oder jemand die Verletzung der Verfahrens- und Formvorschriften gegenüber der Ortsgemeinde über die Verbandsgemeindeverwaltung Asbach unter Bezeichnung des Sachverhalts, der die Verletzung begründen soll, schriftlich geltend gemacht hat.

Hat jemand eine Verletzung nach Satz 2 Nr. 2 geltend gemacht, so kann auch nach Ablauf der in Satz 1 genannten Frist jedermann diese Verletzung geltend machen.

Ortsgemeinde Asbach, den 19. Dezember 2024
gez.
-Franz-Peter Dahl-
Ortsbürgermeister

Auszug aus der Liegenschaftskarte

(Datengrundlage: Geobasisinformationen der Vermessungs- und Katasterverwaltung Rheinland-Pfalz; Zustimmung v. 15.1.2002)