Titel Logo
Mitteilungsblatt Verbandsgemeinde Asbach
Ausgabe 13/2026
Amtliche Bekanntmachungen
Zurück zur vorigen Seite
Zurück zur ersten Seite der aktuellen Ausgabe

Bekanntmachung über den Erlass der Außenbereichssatzung „Obereilenberg“, Ortsgemeinde Neustadt (Wied)

Der Ortsgemeinderat Neustadt (Wied) hat am 19. März 2026 die Einleitung des Verfahrens zur Aufstellung der Außenbereichssatzung „Obereilenberg“ beschlossen. Dieses Planvorhaben wird hiermit gemäß § 2 Abs. 1 BauGB öffentlich bekannt gemacht.

Die Aufstellung erfolgt im vereinfachten Verfahren nach § 13 BauGB. Gemäß § 13 Abs. 3 entfallen bei einem vereinfachten Verfahren u.a. die Umweltprüfung nach § 2 Abs. 4 BauGB, der Umweltbericht nach § 2a BauGB, die Angabe nach § 3 Abs. 2 BauGB, welche Arten umweltbezogener Informationen verfügbar sind, eine zusammenfassende Erklärung nach § 10 Abs. 4 BauGB sowie das Monitoring nach § 4c BauGB.

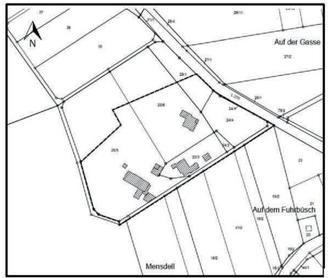
Die Lage der von der Planung betroffenen Grundstücke kann aus dem nachfolgenden Kartenausschnitt entnommen werden (Datengrundlage: Geobasisinformationen der Vermessungs- und Katasterverwaltung Rheinland-Pfalz; Zustimmung v. 15.01.2002).

 

Planungsanlass:

Die Ortsgemeinde Neustadt (Wied) beabsichtigt mit dem Erlass der Satzung eine bauplanungsrechtliche Grundlage über die erleichterte Zulässigkeit von Vorhaben konkret im Bereich des Wohnungsbaus im planungsrechtlichen Außenbereich im Gebiet von Obereilenberg zu schaffen.

Öffentliche Auslegung der Planunterlagen

Gemäß § 3 Abs. 2 BauGB in Verbindung mit § 1 der Hauptsatzung der Ortsgemeinde Neustadt (Wied) wird hiermit bekannt gemacht, dass folgende Planunterlagen in der Zeit von

Freitag, den 27. März 2026

bis einschließlich Montag, 27. April 2026

veröffentlicht werden:

  • Planzeichnung
  • Städtebauliche Begründung
  • Text der Außenbereichssatzung

Die oben beschriebenen Planunterlagen sind im vorgenannten Zeitraum auf der Homepage der Verbandsgemeinde Asbach unter: www.vg-asbach.de (hier: Aktuelles {{gt}} Beteiligung zur Bauleitplanung {{gt}} Ortsgemeinde Neustadt/Wied) abrufbar und über das zentrale Landesportal www.geoportal.rlp.de (veröffentlichte Offenlagen zur Bauleitplänen zugänglich.

Im vorgenannten Zeitraum sind die Unterlagen zudem bei folgender Stelle öffentlich ausgelegt:

Verbandsgemeindeverwaltung Asbach,

Flammersfelder Str. 1, 53567 Asbach, Gebäude B,

1. Obergeschoss im Bereich der Bauverwaltung,

Flur gegenüber Büro 41

während der Dienststunden

(montags bis mittwochs von 8.00 Uhr bis 12.00 Uhr und von 14.00 Uhr bis 16.00 Uhr, donnerstags von 8.00 Uhr bis 12.00 Uhr und 14.00 Uhr bis 18.00 Uhr, freitags von 8.00 Uhr bis 12.00 Uhr).

hier:

1.

Bekanntmachung über den Aufstellungsbeschluss gemäß § 2 Absatz 1 Baugesetzbuch (BauGB)

2.

Bekanntmachung über die Auslegung der Verfahrensunterlagen gem. § 3 Abs. 2 BauGB

a)

Während der oben genannten Auslegungsfrist können Anregungen und Stellungnahmen zu der Planung bei der Verbandsgemeindeverwaltung Asbach abgegeben werden. Die Stellungnahmen sollen elektronisch an die E-Mail-Adresse rathaus@vg-asbach.de übermittelt werden. Bei Bedarf können die Stellungnahmen auch auf anderem Weg abgegeben werden (schriftlich oder mündlich zur Niederschrift).

b)

Nicht fristgerecht abgegebene Stellungnahmen können bei der Beschlussfassung über den Bebauungsplan unberücksichtigt bleiben, sofern die Ortsgemeinde/Verbandsgemeinde deren Inhalt nicht kannte und nicht hätte kennen müssen und deren Inhalt für die Rechtmäßigkeit des Bebauungsplanes nicht von Bedeutung ist (§§3 Abs. 2 Satz 4 und 4a Abs. 5 BauGB)

Ortsgemeinde Neustadt (Wied), den 19.03.2026

Thomas Junior

-Ortsbürgermeister-