Titel Logo
Mitteilungsblatt Verbandsgemeinde Asbach
Ausgabe 2/2026
Amtliche Bekanntmachungen
Zurück zur vorigen Seite
Zurück zur ersten Seite der aktuellen Ausgabe

Widmungsverfügung

Durch Beschluss des Ortsgemeinderates der Ortsgemeinde Asbach vom 18.12.2025 ist die nachfolgende Widmungsverfügung beschlossen worden.

Die Widmungsverfügung hat folgenden Wortlaut:

Widmungsverfügung

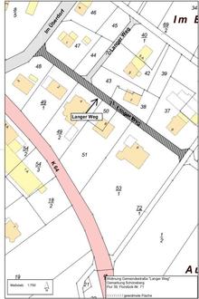
Widmung der Erschließungsanlage „Langer Weg“ in Asbach, Ortslage Altenhofen, für den öffentlichen Verkehr gemäß § 36 Landesstraßengesetz (LStrG) als Gemeindestraße

Gem. § 36 des Landesstraßengesetzes für Rheinland-Pfalz (LStrG) in der z.Zt. gültigen Fassung und des Beschlusses des Gemeinderates der Ortsgemeinde Asbach vom 18.12.2025 wird hiermit die Erschließungsanlage gem. nachfolgender Aufstellung als Gemeindestraße für den öffentlichen Verkehr gewidmet.

Im Einzelnen handelt es sich um folgendes Flurstück:

Gemeindestraße „Langer Weg“:

Gemarkung Schöneberg

Flur 39, Flurstück-Nr. 71

Das einzelne Flurstück erhält durch die Widmung die Eigenschaft einer öffentlichen Straße gem. § 3 Nr. 3 a) des Landesstraßengesetzes für Rheinland- Pfalz (LStrG).

Der genaue Verlauf kann auch aus dem beiliegenden Plan, der Bestandteil der

Widmungsverfügung ist, entnommen werden.

Träger der Straßenbaulast ist die Ortsgemeinde Asbach.

Rechtsbehelfsbelehrung:

Gegen diesen Bescheid (Verfügung, Anordnung oder Entscheidung) kann innerhalb eines Monats nach Bekanntgabe Widerspruch bei der Verbandsgemeindeverwaltung Asbach, Flammersfelder Str. 1, 53567 Asbach, schriftlich, in elektronischer Form nach § 3a Abs. 2 des Verwaltungsverfahrensgesetzes, schriftformersetzend nach § 3a Abs. 3 des Verwaltungsverfahrensgesetzes und § 9a Abs. 5 des Onlinezugangsgesetzes oder zur Niederschrift erhoben werden. Bei schriftlicher Einlegung des Widerspruches ist die Widerspruchsfrist nur gewahrt, wenn der Widerspruch noch vor Ablauf dieser Frist (Satz 1) bei der oben genannten Behörde eingegangen ist. Für die elektronische Form ist der Widerspruch an vg-asbach@poststelle.rlp.de zu richten.

Die Widmungsverfügung wird hiermit bekannt gemacht.

Der Wortlaut des Beschlusses der Ortsgemeinde und die Widmungsverfügung einschließlich des Planes können von montags bis freitags von 08:00 Uhr bis 12:00 Uhr, zusätzlich mittwochs von 14:00 bis 16:00 Uhr und donnerstags von 14:00 bis 18:00 Uhr bei der Verbandsgemeindeverwaltung in Asbach, Flammersfelder Straße 1 (Rathaus) im Tiefbauamt (Zimmer 42) eingesehen werden.

53567 Asbach, den 19.12.2025 — 
gez. — 
Michael Christ, Bürgermeister — 
Verbandsgemeinde Asbach  — (Siegel)