Titel Logo
Mitteilungsblatt Verbandsgemeinde Asbach
Ausgabe 26/2023
Amtliche Bekanntmachungen
Zurück zur vorigen Seite
Zurück zur ersten Seite der aktuellen Ausgabe

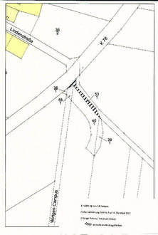
Einziehung eines Wegeteilstückes in der Gemarkung Rahms, Flur 18, Flurstück Nr. 53/1, Ortslage Rahms in der Ortsgemeinde Neustadt (Wied)

Der Ortsgemeinderat hat in seiner Sitzung am 22.06.2023 beschlossen, für das o.g. Wegeteilstück das Wegeeinziehungsverfahren einzuleiten. Zur Information ist ein Lageplan mit Kennzeichnung der einzuziehenden Fläche mit abgedruckt.

Das beschriebene Vorhaben wird hiermit bekannt gemacht und es wird darauf hingewiesen, dass der Wortlaut des Beschlusses der Ortsgemeinde Neustadt einschließlich der Pläne in der Zeit von Donnerstag, den 29.06.2023 bis einschließlich Donnerstag, den 27.07.2023 von montags bis freitags von 08:00 Uhr bis 12:00 Uhr, zusätzlich mittwochs von 14:00 bis 16:00 Uhr und donnerstags von 14:00 Uhr bis 18:00 Uhr bei der Verbandsgemeindeverwaltung in Asbach, Flammersfelder Straße 1 (Rathaus) in Zimmer 48 eingesehen werden können. Innerhalb dieser Zeit können Einwendungen gegen das Vorhaben schriftlich oder zur Niederschrift bei der Verbandsgemeindeverwaltung Asbach erhoben werden.

53567 Neustadt, den 22.06.2023
Thomas Junior
(Ortsbürgermeister)