Titel Logo
Mitteilungsblatt Verbandsgemeinde Asbach
Ausgabe 37/2024
Amtliche Bekanntmachungen
Zurück zur vorigen Seite
Zurück zur ersten Seite der aktuellen Ausgabe

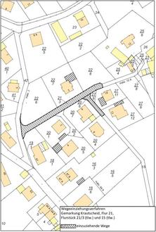
Einziehung von Wegen in der Gemarkung Krautscheid

Flur 21, Flurstücke Nr. 21/3 (teilweise) und 15 (teilweise) in der Ortsgemeinde Buchholz

Der Ortsgemeinderat hat in seiner Sitzung am 02.09.2024 beschlossen, für die o.g. Wegeteilstücke das Wegeeinziehungsverfahren einzuleiten. Zur Information ist ein Lageplan mit Kennzeichnung der einzuziehenden Fläche mit abgedruckt.

Das beschriebene Vorhaben wird hiermit bekannt gemacht und es wird darauf hingewiesen, dass der Wortlaut des Beschlusses der Ortsgemeinde Buchholz einschließlich der Pläne

in der Zeit von Donnerstag, den 12.09.2024 bis einschließlich Donnerstag, den 10.10.2024 von montags bis freitags von 08:00 Uhr bis 12:00 Uhr, zusätzlich mittwochs von 14:00 bis 16:00 Uhr und donnerstags von 14:00 Uhr bis 18:00 Uhr bei der Verbandsgemeindeverwaltung in Asbach, Flammersfelder Straße 1 (Rathaus) im Tiefbauamt

eingesehen werden können. Innerhalb dieser Zeit können Einwendungen gegen das Vorhaben schriftlich oder zur Niederschrift bei der Verbandsgemeindeverwaltung Asbach erhoben werden.

53567 Buchholz, den 03.09.2024
gez. Konrad Peuling (Ortsbürgermeister)