Titel Logo
Mitteilungsblatt Verbandsgemeinde Asbach
Ausgabe 39/2023
Amtliche Bekanntmachungen
Zurück zur vorigen Seite
Zurück zur ersten Seite der aktuellen Ausgabe

Widmungsverfügung Veröffentlichung

Durch Beschluss des Ortsgemeinderates der Ortsgemeinde Neustadt (Wied) vom 21.09.2023 ist die nachfolgende Widmungsverfügung beschlossen worden.

Die Widmungsverfügung hat folgenden Wortlaut:

Widmungsverfügung

Widmung der Erschließungsanlage „Wirtgen Campus“ in der Ortslage Rahms für den öffentlichen Verkehr gemäß § 36 Landesstraßengesetz (LStrG) als Gemeindestraße

Gem. § 36 des Landesstraßengesetzes für Rheinland-Pfalz (LStrG) in der z.Zt. gültigen Fassung und des Beschlusses des Gemeinderates der Ortsgemeinde Neustadt (Wied) vom 21.09.2023 wird hiermit die Erschließungsanlage gem. nachfolgender Aufstellung als Gemeindestraße für den öffentlichen Verkehr gewidmet.

Im Einzelnen handelt es sich um folgende Flurstücke:

Gemeindestraße „Wirtgen Campus“
Gemarkung Rahms

Flur 18; Flurstücke- Nr. 39/1;55/1;53/1; 40/1

Flur 20; Flurstück- Nr. 36/1

Die einzelnen Flurstücke erhalten durch die Widmung die Eigenschaft einer öffentlichen Straße gem. § 3 Nr. 3 a) des Landesstraßengesetzes für Rheinland- Pfalz (LStrG).

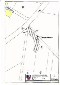
Der genaue Verlauf kann auch aus dem beiliegenden Plan, der Bestandteil der Widmungsverfügung ist, entnommen werden.

Träger der Straßenbaulast ist die Ortsgemeinde Neustadt.

Rechtsbehelfsbelehrung:

Gegen diesen Bescheid kann innerhalb eines Monates nach dessen Bekanntgabe Widerspruch erhoben werden. Der Widerspruch ist bei der Verbandsgemeindeverwaltung Asbach, Flammersfelder Straße 1, 53567 Asbach, schriftlich, in elektronischer Form nach § 3a Abs. 2 des Verwaltungsverfahrensgesetzes oder zur Niederschrift einzulegen. Bei schriftlicher Einlegung des Widerspruches ist die Widerspruchsfrist nur gewahrt, wenn der Widerspruch noch vor Ablauf dieser Frist (Satz 1) bei der oben genannten Behörde eingegangen ist. Für die elektronische Form ist der Widerspruch an VG-Asbach@poststelle.rlp.de zu richten. Fakultative Ergänzung: Die Einlegung eines des Widerspruches entbindet nicht von der fristgerechten Zahlung des angeforderten Betrages gemäß § 80 Absatz 2 Nr. 1 Verwaltungsgerichtsordnung (VwGO).

Die Widmungsverfügung wird hiermit bekannt gemacht.

Der Wortlaut des Beschlusses der Ortsgemeinde und die Widmungsverfügung einschließlich des Planes können von montags bis freitags von 08:00 Uhr bis 12:00 Uhr, zusätzlich mittwochs von 14:00 bis 16:00 Uhr und donnerstags von 14:00 bis 18:00 Uhr bei der Verbandsgemeindeverwaltung in Asbach, Flammersfelder Straße 1 (Rathaus) in Zimmer 48 eingesehen werden.

53567 Asbach, 22.09.2023
Verbandsgemeindeverwaltung Asbach
(Siegel)
gez. Michael Christ,
Bürgermeister