Titel Logo
Mitteilungsblatt Verbandsgemeinde Asbach
Ausgabe 39/2024
Amtliche Bekanntmachungen
Zurück zur vorigen Seite
Zurück zur ersten Seite der aktuellen Ausgabe

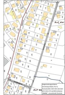
Einziehung von Wegen

in der Gemarkung Limbach

Flur 31, Flurstücke 80/5, 50/9, 49/4, 64/2, 64/3, 65/5, 65/6, 67/3, 80/6 (teilweise) in der Ortsgemeinde Asbach

Der Ortsgemeinderat hat in seiner Sitzung am 12.09.2024 beschlossen, für die o.g. Wege das Wegeeinziehungsverfahren einzuleiten. Zur Information ist ein Lageplan mit Kennzeichnung der einzuziehenden Flächen mit abgedruckt.

Das beschriebene Vorhaben wird hiermit bekannt gemacht und es wird darauf hingewiesen, dass der Wortlaut des Beschlusses der Ortsgemeinde Asbach einschließlich der Pläne

in der Zeit von Donnerstag, den 26.09.2024 bis einschließlich Donnerstag, den 24.10.2024 von montags bis freitags von 08:00 Uhr bis 12:00 Uhr, zusätzlich mittwochs von 14:00 bis 16:00 Uhr und donnerstags von 14:00 Uhr bis 18:00 Uhr bei der Verbandsgemeindeverwaltung in Asbach, Flammersfelder Straße 1 (Rathaus) in Zimmer 42

eingesehen werden können. Innerhalb dieser Zeit können Einwendungen gegen das Vorhaben schriftlich oder zur Niederschrift bei der Verbandsgemeindeverwaltung Asbach erhoben werden.

53567 Asbach, den 13.09.2024
gez. Franz-Peter Dahl
(Ortsbürgermeister)