Titel Logo
Mitteilungsblatt Verbandsgemeinde Asbach
Ausgabe 46/2022
Amtliche Bekanntmachungen
Zurück zur vorigen Seite
Zurück zur ersten Seite der aktuellen Ausgabe

Öffentliche Bekanntmachung über die erneute Öffentlichkeitsbeteiligung gemäß § 4 a Absatz 3 BauGB

Der Aufstellungsbeschluss zu der Ergänzungssatzung „Höfchen“ wurde im Juni 2022 bekanntgemacht.

Im Juni und Juli 2022 erfolgte die Unterrichtung der Öffentlichkeit nach § 3 Abs. 2 BauGB und die Anhörung der Fachbehörden und sonstigen Träger öffentlicher Belange nach § 4 Abs. 2 BauGB statt.

Die dort vorgebrachten Einwendungen und Anregungen wurden vom Gemeinderat in seiner Sitzung am 28.10.2022 behandelt und sind, soweit für die Planung relevant, die geänderte Planung eingeflossen. In gleicher Sitzung wurde die geänderte Ergänzungssatzung angenommen und dessen erneute, verkürzte öffentliche Auslegung gem. § 4 a Abs. 3 BauGB beschlossen.

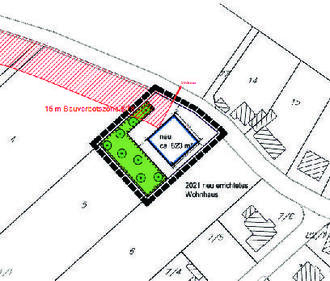
Der Planungsbereich umfasst die Grundstücke in der Gemarkung Rahms, Flur 20, Flurstück 5 (teilw.). Planungsinhalt ist die Herstellung von Bauplanungsrecht in der Ortslage Rahms, dort soll eine Wohnbaufläche ausgewiesen werden.

Die Verfahrensunterlagen, bestehend aus der Planzeichnung, den textlichen Festsetzungen und einer Begründung, liegen in der Zeit

vom Freitag, 25. November 2022 bis einschließlich Freitag, 09. Dezember 2022

öffentlich aus und können von jedermann eingesehen werden bei der

Verbandsgemeindeverwaltung Asbach,

im Empfangsbereich der Verbandsgemeindeverwaltung,

Flammersfelder Str. 1, 53567 Asbach

zu folgenden Öffnungszeiten:

montags bis mittwochs von 8.00 Uhr bis 12.00 Uhr und von 14.00 Uhr bis 16.00 Uhr,

donnerstags von 8.00 Uhr bis 12.00 Uhr und 14.00 Uhr bis 18.00 Uhr freitags von 8.00 Uhr bis 12.00 Uhr

Während der oben genannten Auslegungsfrist können Anregungen und Stellungnahmen zur Änderung der Ergänzungssatzung bei der Verbandsgemeinde Asbach schriftlich oder zur Niederschrift abgegeben werden. Nicht fristgerecht abgegebene Stellungnahmen können bei der Beschlussfassung über die Änderung der Ergänzungssatzung unberücksichtigt bleiben.

Corona-Hinweis:

Aufgrund der Corona-Pandemie ist der Zugang zur Verwaltung derzeit nur unter Einhaltung diverser Schutzmaßnahmen möglich. Sollte von der Einsichtnahme vor Ort Gebrauch gemacht werden, so bitten wir dies den Mitarbeitern an der Zentrale mitzuteilen. Zudem haben Interessierte auch die Möglichkeit Ihren Besuch unter der Telefonnummer 02683-912244 anzumelden.

Der Inhalt dieser Bekanntmachung sowie die Unterlagen zur öffentlichen Auslegung sind im vorgenannten Zeitraum auch auf der Internetseite der Verbandsgemeinde Asbach unter www.vg-asbach.de / Aktuelles / Beteiligung zur Bauleitplanung veröffentlicht und über das zentrale Landesportal www.geoportal.rlp.de zugänglich.

Das Plangebiet kann aus dem beigefügten Lageplan entnommen werden.

Neustadt/Wied, 07.11.2022

Thomas Junior

Ortsbürgermeister