Titel Logo
Mitteilungsblatt Verbandsgemeinde Asbach
Ausgabe 5/2023
Amtliche Bekanntmachungen
Zurück zur vorigen Seite
Zurück zur ersten Seite der aktuellen Ausgabe

Widmungsverfügung Veröffentlichung

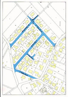
Durch Widmungsverfügung der Ortsgemeinde Neustadt (Wied) vom 26.01.2023 sind die Straßen in der Ortslage Rahms dem öffentlichen Verkehr gewidmet worden.

Die Widmungsverfügung hat folgenden Wortlaut:

W i d m u n g s v e r f ü g u n g

Sammelwidmung der Erschließungsanlagen in der Ortslage Rahms für den öffentlichen Verkehr gemäß § 36 Landesstraßengesetz (LStrG)

Gem. § 36 des Landesstraßengesetzes für Rheinland-Pfalz (LStrG) in der z.Zt. gültigen Fassung und des Beschlusses des Gemeinderates der Ortsgemeinde Neustadt (Wied) vom 26.01.2023 werden hiermit die Erschließungsanlagen gem. nachfolgender Aufstellung für den öffentlichen Verkehr gewidmet.

Im Einzelnen handelt es sich um folgende Flurstücke:

1. Gemeindestraße „Füllenheck“

Gemarkung Rahms

Flur 20; Flurstücke- Nr. 82/3 tlw.; 30/20; 30/19; 74

2. Gemeindestraße „Heidestraße“

Gemarkung Rahms

Flur 20; Flurstücke- Nr. 81/1 tlw.; 84/1

Die einzelnen Flurstücke erhalten durch die Widmung die Eigenschaft einer öffentlichen Straße gem. § 3 des Landesstraßengesetzes für Rheinland- Pfalz (LStrG).

Der genaue Verlauf kann auch aus dem beiliegenden Plan, der Bestandteil der Widmungsverfügung ist, entnommen werden.

Träger der Straßenbaulast ist die Ortsgemeinde Neustadt.

53577 Neustadt (Wied), den 26.01.2023

-Thomas Junior-

(Ortsbürgermeister) —  (Siegel)

Rechtsbehelfsbelehrung:

Gegen diesen Bescheid kann innerhalb eines Monates nach dessen Bekanntgabe Widerspruch erhoben werden. Der Widerspruch ist bei der Verbandsgemeindeverwaltung Asbach, Flammersfelder Straße 1, 53567 Asbach, schriftlich, in elektronischer Form nach § 3a Abs. 2 des Verwaltungsverfahrensgesetzes oder zur Niederschrift einzulegen. Bei schriftlicher Einlegung des Widerspruches ist die Widerspruchsfrist nur gewahrt, wenn der Widerspruch noch vor Ablauf dieser Frist (Satz 1) bei der oben genannten Behörde eingegangen ist. Für die elektronische Form ist der Widerspruch an VG-Asbach@poststelle.rlp.de zu richten. Fakultative Ergänzung: Die Einlegung eines des Widerspruches entbindet nicht von der fristgerechten Zahlung des angeforderten Betrages gemäß § 80 Absatz 2 Nr. 1 Verwaltungsgerichtsordnung (VwGO).

53567 Asbach, 27.01.2023

Verbandsgemeindeverwaltung Asbach

gez. Michael Christ, Bürgermeister (Siegel)