Titel Logo
Mitteilungsblatt Verbandsgemeinde Asbach
Ausgabe 50/2024
Sonstige amtliche Mitteilungen
Zurück zur vorigen Seite
Zurück zur ersten Seite der aktuellen Ausgabe

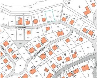
Die Ortsgemeinde Windhagen ist im Neubaugebiet „Grabenbitze/Auf dem Sack“ (Ortslage Windhagen, Straße „Grabenbitze“) Eigentümerin des folgenden Baugrundstückes:

Gemarkung Windhagen, Flur 25,

Flurstück 104 (572 m²)

Lage des Grundstückes (blau umrandet):

Das gemeindliche Grundstück soll zum Zwecke einer Wohnbebauung über ein festgelegtes Bewerbungsverfahrens wie folgt verkauft werden:

1.

Die Bewerbung für den Kauf des Grundstückes ist schriftlich (mit Unterschrift) in einem verschlossenen Umschlag bei der Verbandsgemeindeverwaltung, 53567 Asbach, Flammersfelder Str. 1 (z.H. Herrn Walter Höfflin), bis zum 16.12.2024 (Ausschlussfrist) abzugeben.

In der Bewerbung sind die genauen Kontaktdaten (Name, Adresse u. Tel-Nr.) aufzuführen.

2.

Die Bewerbung muss ein Angebot über die Höhe des Kaufpreises enthalten. Das Mindestgebot liegt bei 190,-- €/m² (Bodenrichtwert).

3.

Bei der Bewerbung ist eine Finanzierungsbestätigung eines Kreditinstitutes beizufügen, dass die Finanzierung des Vorhabens (Kauf des Grundstückes einschl. Nebenkosten) gesichert ist.

4.

Die Bauverpflichtung (Wohnbebauung) beträgt 3 Jahre.

Mit dem Kauf erfolgt auch die Verpflichtung zur Eigennutzung (5 Jahre mit Hauptwohnsitz).

Die Bauverpflichtung und die Eigennutzungsverpflichtung werden durch Eintragungen im Grundbuch gesichert (durch Eintragung einer Rückauflassungsvormerkung/Rückkaufsrecht zu Gunsten der Ortsgemeinde).

Der Zuschlag erfolgt an den Höchstbietenden.

Der entsprechende Bebauungsplan kann auf der Homepage der Verbandsgemeinde Asbach eingesehen werden.

Für telefonische Rückfragen steht Herr Höfflin, Bauabteilung Verbandsgemeindeverwaltung Asbach, unter 02683/912-131 zur Verfügung.