Titel Logo
Mitteilungsblatt Verbandsgemeinde Asbach
Ausgabe 51/2024
Amtliche Bekanntmachungen
Zurück zur vorigen Seite
Zurück zur ersten Seite der aktuellen Ausgabe

Bekanntmachung

über die Einstellung des Verfahrens zur Aufstellung des Vorhabenbezogenen Bebauungsplan „Altholzaufbereitung UP International GmbH“ der Ortsgemeinde Neustadt (Wied)

Das Verfahren zur Aufstellung des Vorhabenbezogenen Bebauungsplan „Altholzaufbereitung UP International GmbH“ wird eingestellt.

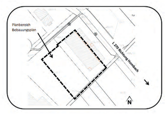
Das betroffene Plangebiet ergibt sich aus dem umrandeten Bereich des nachfolgenden Kartenausschnitts (Datengrundlage: Geobasisinformationen der Vermessungs- und Katasterverwaltung Rheinland-Pfalz):

Grund für die Verfahrenseinleitung:

Die Firma UP International GmbH beabsichtigte auf dem Betriebsgelände innerhalb des Bebauungsplangebietes „Industrie- und Gewerbepark Süd“ eine Altholzaufbereitung einschließlich Sperrmüllsortierung zu errichten und zu betreiben.

Grund für die Verfahrenseinstellung:

Das Verfahren wurde bis einschließlich der förmlichen Beteiligung der Öffentlichkeit und der Behörden sowie Träger öffentlicher Belange durchgeführt. Das Unternehmen hat inzwischen die Tätigkeit aufgegeben, so dass sich kein Planungserfordernis mehr ergibt.

Der Gemeinderat Neustadt (Wied) hat in seiner Sitzung am 29.08.2024 die Einstellung des Bebauungsplanverfahrens beschlossen.

53567 Asbach, den 03. Dezember 2024 — Ortsgemeinde Neustadt (Wied)
 — gez.
 — -Junior-
 — Ortsbürgermeister