hier: Offenlage gemäß § 3 Abs. 2 Baugesetzbuch (BauGB)
Der Rat der Stadt Linz am Rhein hat in seiner öffentlichen Sitzung am 02.11.2022 beschlossen, das Verfahren zur Aufstellung des Bebauungsplanes „Rettungswache“, auf Grundlage der §§ 2 ff. BauGB, einzuleiten. Der Aufstellungsbeschluss wurde gemäß § 2 Abs. 1 BauGB am 31.08.2023 ortsüblich bekannt gemacht.
Nach Durchführung der frühzeitigen Beteiligungsverfahren nach §§ 3 Abs. 1, 4 Abs. 1 BauGB, hat der Stadtrat in seiner öffentlichen Sitzung am 24.04.2024 den Entwurf des Bebauungsplanes „Rettungswache“ gebilligt und beschlossen, das Verfahren zur Offenlage nach § 3 Abs. 2 BauGB einzuleiten und die Beteiligung der Behörden und sonstiger Träger öffentlicher Belange gemäß § 4 Abs. 2 BauGB sowie der Nachbargemeinden nach § 2 Abs. 2 BauGB durchzuführen.
Planungskonzept:
Die Stadt Linz am Rhein plant auf einer, in möglichst unmittelbarer Nähe zum Linzer Krankenhaus und gegenüber der von der L 256 abgehenden Magdalena-Daemen-Straße liegenden, Teilfläche eines städtischen Grundstückes, die bauplanungsrechtlichen Voraussetzungen zur Errichtung einer Rettungswache zu schaffen. Mit o.g. Bebauungsplan soll das in Rede stehende Areal als „Fläche für den Gemeinbedarf“ mit der Zweckbestimmung „Rettungswache“ festgesetzt werden. Der ca. 4,7 ha große Bereich wird im gültigen Flächennutzungsplan (FNP) der Verbandsgemeinde Linz am Rhein derzeit als „Fläche für die Forstwirtschaft“ dargestellt, bedingt jedoch künftig die Darstellung einer „Sonstigen Sonderbaufläche“ mit der Zweckbestimmung „Rettungswache“. Nachrichtlich wird darauf hingewiesen, dass im Rahmen der angestrebten Änderung des FNPs darüber hinaus auch die Voraussetzungen für die Entwicklung und Umsetzung weiterer Ideen zur Ansiedlung sonstiger infrastruktureller Versorgungseinrichtungen geschaffen werden sollen.
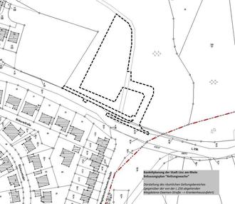
Die Abgrenzung des Planbereiches ist dem nachstehenden Lageplanausschnitt zu entnehmen; der räumliche Geltungsbereich des Bebauungsplanes ist schwarz strichliert dargestellt.
Die Veröffentlichung der Unterlagen, die sich aus Planentwurf, Begründung, Umweltbericht, Artenschutzrechtlicher Vorprüfung, Faunistischem Gutachten und weiteren wesentlichen, aus der nachstehenden Tabelle ersichtlich werdenden umweltbezogenen Stellungnahmen zusammensetzen, erfolgt in der Zeit von Montag, den 08.07.2024, bis einschließlich Freitag, den 09.08.2024.
Die Planunterlagen werden im vorgenannten Zeitraum im Internet auf der Homepage der Verbandsgemeinde Linz am Rhein unter
https://www.vg-linz.de/politik-und-verwaltung/amtliche-bekanntmachungen/bauleitplanung/
⇒ Stadt Linz am Rhein
⇒ Bebauungsplan „Rettungswache“
sowie über das zentrale Internetportal des Landes Rheinland-Pfalz unter https://www.geoportal.rlp.de zugänglich gemacht.
Es wird zudem gemäß § 3 Abs. 2 S. 4 Nrn. 1 - 4 BauGB darauf hingewiesen,
Zurzeit sind nachstehende umweltbezogene Informationen verfügbar:
| Verfasser / Art des Dokuments | Inhalt |
| Umweltbericht vom 16.04.2024 | Berücksichtigung von Fachgesetzen und Schutzgebieten; Bestandsaufnahme und Bewertung der Schutzgüter Mensch, Flora und Fauna / Artenschutz, Boden und Wasser, Klima/Luft, Landschaft, Kultur- und sonstige Sachgüter sowie deren Wechselwirkungen; Beschreibung und Bewertung der Umweltauswirkungen; Prognose zur Entwicklung des Umweltzustandes im Plangebiet; Maßnahmen zur Vermeidung, Verringerung und zum Ausgleich nachteiliger Umweltauswirkungen; Planungsalternativen; Merkmale der verwendeten technischen Verfahren und Maßnahmen zur Überwachung der erheblichen Umweltauswirkungen |
| Artenschutzrechtliche Vorprüfung des Büros für Landschaftsökologie, Dr. Claus Mükschel vom 24.01.2024 | Artenschutz von Vögeln, Säugetieren, Reptilien und Amphibien sowie sonstigen artenschutzrechtlich relevanten Tiergruppen |
| Faunistisches Gutachten des Büros für Landschaftsökologie, Dr. Claus Mükschel vom 29.05.2024 | Untersuchungen zur Haselmaus |
| Stellungnahme des Forstamtes Dierdorf vom 07.11.2023 | Standortwahl; Nutzungsumwandlung von Wald; Zuwegung und Sicherheitsabstand zum Wald |
| Stellungnahme der Generaldirektion Kulturelles Erbe, Direktion Landesarchäologie, Außenstelle Koblenz vom 15.09.2023 | Umgang mit potenziellen archäologischen Funden und Bestimmungen des Denkmalschutzgesetzes RLP |
| Stellungnahme der Kreisverwaltung Neuwied vom 17.10.2023 | Entwicklung aus dem Flächennutzungsplan; Belange der Raumordnung und Landesplanung; Immissionsschutz; Sicherheitsabstand zum Wald; Brand- und Katastrophenschutz |
| Stellungnahme des Kreiswasserwerkes Neuwied vom 19.09.2023 | Berücksichtigung vorhandener Wasserversorgungsleitungen |
| Stellungnahme des Landesamtes für Geologie und Bergbau vom 10.10.2023 | Hinweisen zu Bergbau/Altbergbau, Boden und Baugrund sowie Anforderungen des Geologiedatengesetzes |
| Stellungnahme des Landesbetriebes Mobilität Cochem-Koblenz vom 26.10.2023 | Erschließung und Lärmschutz |
| Stellungnahme der Struktur- und Genehmigungsdirektion Nord, Regionalstelle Wasserwirtschaft, Abfallwirtschaft, Bodenschutz vom 12.10.2023 | Abwasserbeseitigung und Umgang mit Niederschlagswasser |
| Stellungnahme der Verbandsgemeindewerke Abwasser Linz am Rhein vom 11.09.2023 | Informationen zur Abwasserbeseitigung |
| Stellungnahme der Vodafone GmbH/Vodafone Deutschland GmbH vom 28.09.2023 | Berücksichtigung vorhandener Telekommunikationsleitungen |
| Stellungnahme der Westnetz GmbH vom 04.10.2023 | Berücksichtigung vorhandener Hochspannungsfreileitungen |
* Termine nach Vereinbarung während der Öffnungszeiten:
Diese sind montags bis donnerstags von 8.00 bis 12.30 Uhr, sowie zusätzlich montags und dienstags von 14.00 bis 16.00 Uhr und donnerstags von 14.00 bis 18.00 Uhr. Freitags ist die Verwaltung von 8.00 bis 12.00 Uhr geöffnet.