Titel Logo
RW-Direkt
Ausgabe 37/2025
Aus der Verwaltung / Ortsgemeinde
Zurück zur vorigen Seite
Zurück zur ersten Seite der aktuellen Ausgabe

Öffentliche Bekanntmachung

Ortsgemeinde Niederbreitbach Niederbreitbach, 09.09.2025

Widmungsverfügung

Widmung der Straße „Auf der Helden“ im Ortsteil Niederbreitbach als öffentliche Verkehrsanlage gemäß § 36 LStrG Rheinland-Pfalz

Gemäß den §§ 1 Abs. 2 und § 36 LStrG erlangen Straßen den Öffentlichkeitsstatus durch den entsprechenden Widmungsakt. Dieser ist nach § 36 Abs. 3 LStrG öffentlich bekannt zu machen.

Der Ortsgemeinderat Niederbreitbach hat in seiner Sitzung am 21.08.2025 beschlossen, die Verkehrsanlage „Auf der Helden“ (ab Einmündung L 257) mit allen Stichwegen einschließlich des Wendehammers im Bereich des Regenrückhaltebeckens sowie des hieran angrenzenden Fußweges (bis zur Einmündung in die Kurtscheider Straße – L 257 -) gemäß § 36 Landesstraßengesetz Rheinland-Pfalz (LStrG) vom 01.08.1977 in der derzeitigen Fassung für den öffentlichen Verkehr zu widmen.

Es handelt sich um die Flurstücke:

-

Gemarkung Niederbreitbach, Flur 8, Flurstück-Nr. 105/6 mit der Verkehrsbedeutung Gemeindestraße gemäß § 3 Nr. 3a) LStrG und

-

Gemarkung Niederbreitbach, Flur 8, Flurstück-Nr. 105/3 mit der Verkehrsbedeutung Geh-/Fußweg gemäß § 3 Nr.3b) aa) LStrG.

Durch diese Widmung erhält die vorerwähnte Verkehrsanlage die Eigenschaft einer öffentlichen Straße i.S. des § 2 LStrG. Der Gebrauch der Straße ist nach § 34 LStrG jedermann im Rahmen dieser Widmung und der Verkehrsvorschriften gestattet (Gemeingebrauch).

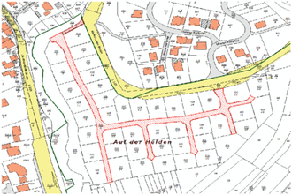
Träger der Straßenbaulast ist nach § 14 LStrG die Ortsgemeinde Niederbreitbach. Beiliegender Plan mit Markierung der Verkehrsfläche ist Bestandteil der Widmung

In dem angefügten Plan ist die gewidmete Verkehrsfläche markiert. Der Plan ist Bestandteil dieser Widmung.

Rechtsbehelfsbelehrung:

Gegen diese Allgemeinverfügung kann innerhalb eines Monats nach Bekanntgabe Widerspruch erhoben werden. Der Widerspruch ist bei der Verbandsgemeindeverwaltung Rengsdorf-Waldbreitbach, Westerwaldstraße 32-34, 56579 Rengsdorf, schriftlich oder zur Niederschrift einzulegen. Bei schriftlicher Einlegung des Widerspruchs ist die Widerspruchsfrist nur gewahrt, wenn der Widerspruch noch vor Ablauf dieser Frist (Satz 1) bei der oben genannten Behörde eingegangen ist.

Die Schriftform kann durch die elektronische Form ersetzt werden. In diesem Fall ist das elektronische Dokument mit einer qualifizierten elektronischen Signatur an: vg-rw@poststelle.rlp.de zu richten. Bei der Verwendung der elektronischen Form sind besondere technische Rahmenbedingungen zu beachten, die im Internet unter www.rengsdorf-waldbreitbach.de (Impressum, Elektronische Kommunikation) aufgeführt sind.

Verbandsgemeinde
Rengsdorf-Waldbreitbach
Hans-Werner Breithausen (S)
Bürgermeister