Titel Logo
Bad Ems-Nassau aktuell Ausgabe Bad Ems
Ausgabe 1/2023
Öffentliche Bekanntmachungen und sonstige Mitteilungen
Zurück zur vorigen Seite
Zurück zur ersten Seite der aktuellen Ausgabe

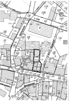
3. Änderung des Bebauungsplans Nr. 6 „Mühlpforte“ der Stadt Nassau

- Bekanntgabe des Aufstellungsbeschlusses und

- Offenlage zur Öffentlichkeitsbeteiligung

Der Stadtrat Nassau hat in seiner Sitzung vom 12.12.2022 den Aufstellungsbeschluss für die 3. Änderung des Bebauungsplans Nr. 6 „Mühlpforte“ gefasst.

Dieser Beschluss wird hiermit gemäß § 2 Abs. 1 Satz 2 des Baugesetzbuches (BauGB) in der Fassung vom 03. 11.2017 (BGBl. I, S. 3634) öffentlich bekannt gemacht. Der Geltungsbereich der Änderung ergibt sich aus der nachstehenden Skizze.

Es wird ein Verfahren nach § 13 a BauGB durchgeführt, wodurch ein naturschutzrechtlicher Planungsbeitrag nicht erforderlich wird.

Gleichzeitig hat der Rat die Offenlage zur Öffentlichkeitsbeteiligung beschlossen. Die Offenlage der Planänderung findet in der Zeit vom 16.01. bis 17.02.2023 bei der Verbandsgemeindeverwaltung Bad Ems - Nassau, Rathausnebengebäude, Bleichstraße 1, 56130 Bad Ems, Geschäftsbereich 3, Zimmer 06 während den Öffnungszeiten (montags bis freitags von 08:00 Uhr bis 12.00 Uhr, montags bis mittwochs zudem von 14:00 Uhr bis 16:00 Uhr und donnerstags von 14.00 Uhr bis 18.00 Uhr) statt. Das Nebengebäude ist nicht barrierefrei. Mobilitätseingeschränkte Menschen erhalten die Möglichkeit, sich zum Zwecke der Einsichtnahme in die Offenlegungsexemplare an der barrierefreien Pforte des Rathauses (Haupthaus) zu melden. Hier wird diesen wie auch jedem interessierten Bürger die Entwurfsplanung dargelegt und erläutert. Während der Auslegung können Stellungnahmen, bezogen auf den Planentwurf und die Begründung von jedermann vorgebracht werden.

56130 Bad Ems, 29. Dezember 2022 — Uwe Bruchhäuser
Verbandsgemeindeverwaltung — Bürgermeister
Bad Ems - Nassau — 

Anlage: Lageplan