Titel Logo
Bad Ems-Nassau aktuell Ausgabe Bad Ems
Ausgabe 16/2025
Öffentliche Bekanntmachungen und sonstige Mitteilungen
Zurück zur vorigen Seite
Zurück zur ersten Seite der aktuellen Ausgabe

Widmung von Straßen, Wegen und Plätzen in Schweighausen

Öffentliche Bekanntmachung

Widmung von Straßen, Wegen und Plätzen in Schweighausen

gemäß § 36 Landesstraßengesetz für Rheinland-Pfalz (LStrG) in der derzeit geltenden Fassung

Gemäß § 36 LStrG wird die nachstehend genannte Straße in Schweighausen in dem genannten Umfang dem öffentlichen Verkehr gewidmet:

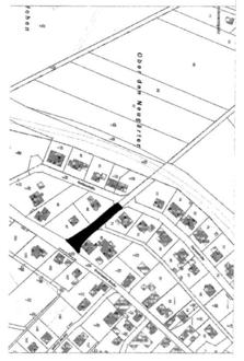
Die Verkehrsanlage „Braubacher Weg“ (Flur 1, Flurstück 49 teilweise ) -verlaufend zwischen der Einmündung in die Braubacher Straße bis zur Einmündung in die Gartenstraße- als Gemeindestraße (§ 3 Nr. 3 a LStrG) für den uneingeschränkten öffentlichen Verkehr.

Die Verkehrsübergabe der vorstehend genannten Flächen ist bereits erfolgt.

Diese Verfügung gilt mit Ablauf des auf die öffentliche Bekanntmachung folgenden Tages als bekanntgegeben (§ 1 Abs. 1 Landesverwaltungsverfahrensgesetz in Verbindung mit § 41 Abs. 4 Verwaltungsverfahrensgesetz in den derzeit geltenden Fassungen).

Rechtsbehelfsbelehrung:

Gegen diese Verfügung kann innerhalb eines Monats nach Bekanntgabe Widerspruch erhoben werden. Der Widerspruch ist bei der Verbandsgemeindeverwaltung Bad Ems-Nassau, Bleichstr. 1, 56130 Bad Ems, zu erheben.

Hinweis:

Ein Plan, in dem die gewidmeten Flächen dargestellt sind, ist dieser Widmungsverfügung als deren Bestandteil beigefügt.

Pläne, in denen die gewidmeten Flächen dargestellt sind, können ferner bei der Verbandsgemeindeverwaltung Bad Ems-Nassau (siehe Ortsangabe in der Rechtsbehelfsbelehrung) montags bis mittwochs in der Zeit von 8.30 Uhr bis 12.00 Uhr und 14.00 Uhr bis 16.00 Uhr, donnerstags in der Zeit von 8.30 Uhr bis 12.00 Uhr und 14.00 Uhr bis 18.00 Uhr sowie freitags in der Zeit von 8.30 Uhr bis 12.00 Uhr eingesehen werden.

Diese Bekanntmachung ergeht im Namen und Auftrag der Ortsgemeinde Schweighausen.

Verbandsgemeindeverwaltung Bad Ems-Nassau
Bad Ems, 08.04.2025
I.V. Birk Utermark, Beigeordneter