Bad Ems-Nassau aktuell Ausgabe Bad Ems
Ausgabe 17/2023
Öffentliche Bekanntmachungen und sonstige Mitteilungen
Zurück zur ersten Seite der aktuellen Ausgabe
Vorheriger Artikel: Der Französischkurs in Nassau sucht noch ein bis zwei Teilnehmer
Nächster Artikel: Kirmes in Fachbach vom 05.Mai bis 07.Mai
Benennung von Straßen, Wegen und Plätzen
Öffentliche Bekanntmachung
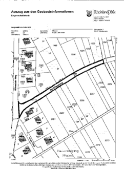
Benennung von Straßen, Wegen und Plätzen in der Ortsgemeinde Winden; Wegeparzelle „Bei Gilleseheeg“
Aufgrund des Beschlusses des Ortsgemeinderates Winden erhält die von der Straße „Götzentaler Weg“ abzweigende Wegeparzelle (Flur 13, Flurstück 2984/5) mit sofortiger Wirkung die Bezeichnung „Bei Gilleseheeg“.
Ein Plan, in dem die benannte Fläche der Wegeparzelle dargestellt ist, ist dieser Bekanntmachung als deren Bestandteil beigefügt.
Diese Bekanntmachung ergeht im Namen und Auftrag der Ortsgemeinde Winden.
Verbandsgemeindeverwaltung Bad Ems-Nassau
Bad Ems, 14.04.2023
Uwe Bruchhäuser
Bürgermeister