Titel Logo
Bad Ems-Nassau aktuell Ausgabe Bad Ems
Ausgabe 2/2023
Öffentliche Bekanntmachungen und sonstige Mitteilungen
Zurück zur vorigen Seite
Zurück zur ersten Seite der aktuellen Ausgabe

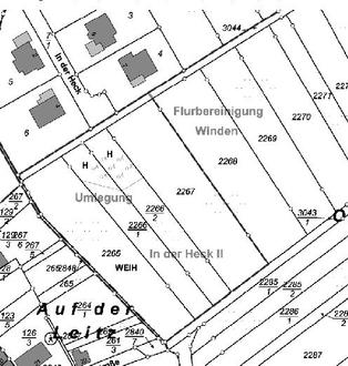
Bekanntmachungüber den Beginn der vorbereitenden Arbeiten im Umlegungsverfahren„In der Heck II“

(Auszug aus der Liegenschaftskarte)

Für die Durchführung der Umlegung „In der Heck II“ wird nach Bekanntgabe mit den vorbereitenden Arbeiten begonnen.

Von den Arbeiten sind folgende Grundstücke betroffen:

Gemarkung Winden, Flur 3, Nr.: 2848, Flur 21, Nr.: 2265, 2266/1, 2266/2, 2267, 3044

Den Beauftragten des Vermessungs- und Katasteramts Westerwald-Taunus, Vermessungsbüro ÖbVI Stefan Neuroth ist nach § 209 Abs. 1 des Baugesetzbuchs (BauGB) in der Fassung der Be- kanntmachung vom 3. November 2017 (BGBl I S. 3634) in der jeweils geltenden Fassung das Recht 02/2020 eingeräumt, alle von der Umlegung betroffenen Grundstücke zum Zwecke der Vermessung, Aufmessung von topografischen Gegebenheiten, Abmarkung und Bewertung zu betreten.

Es wird gebeten, eingefriedete (verschlossene) Grundstücke offen zu halten. Die Arbeiten können auch vorgenommen werden, wenn die Eigentümer und Besitzer nicht anwesend sind.

Die Arbeiten werden nach Bekanntgabe beginnen und voraussichtlich zwei Monate dauern.

Rechtsbehelfsbelehrung

Gegen die vorbereitenden Maßnahmen im Umlegungsgebiet kann innerhalb eines Monats nach Bekanntgabe Widerspruch erhoben werden. Die Monatsfrist beginnt zwei Wochen nach der öffentlichen Bekanntmachung.

Der Widerspruch kann

1.

in elektronischer Form nach § 3a Abs. 2 des Verwaltungsverfahrensgesetzes,

2.

schriftlich oder zur Niederschrift bei dem Vermessungs- und Katasteramt Westerwald-Taunus, Jahnstraße 5, 56346 Westerburg

erhoben werden.

Westerburg,  —  Dr. Gabriele Hückelheim,
den 04.01.2023  —  Abteilungsleiterin Bodenmanagement