Titel Logo
Bad Ems-Nassau aktuell Ausgabe Bad Ems
Ausgabe 34/2023
Öffentliche Bekanntmachungen und sonstige Mitteilungen
Zurück zur vorigen Seite
Zurück zur ersten Seite der aktuellen Ausgabe

Inkrafttreten der 3. Änderung des Bebauungsplanes Nr. 6 "Mühlpforte“ der Stadt Nassau

Der Stadtrat Nassau hat in seiner Sitzung vom 22.05.2023 gemäß § 10 des Baugesetzbuches (BauGB) vom 27. August 1997 (BGBl. I, S. 2141) in der zurzeit geltenden Fassung die 3. Änderung des Bebauungsplanes Nr. 6 „Mühlpforte“ als Satzung beschlossen. Hiernach wurde die Bebauungsplan-Änderung ausgefertigt.

Mit der Bekanntmachung des Satzungsbeschlusses nach § 10 BauGB, die anstelle der ansonsten für Satzungen vorgeschriebenen Veröffentlichungen tritt, wird die 3. Änderung des Bebauungsplanes rechtsverbindlich. Entgegenstehende Satzungsvorschriften des derzeit rechtsverbildlichen Bebauungsplanes treten außer Kraft.

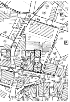
Der räumliche Geltungsbereich des Planes ist in der nachstehenden Skizze dargestellt.

(siehe Folgeblatt)

Der Bebauungsplan, bestehend aus der Planzeichnung, den textlichen Festsetzungen und der Begründung nebst Anlagen liegt zu jedermanns Einsichtnahme bei der Verbandsgemeindeverwaltung Bad Ems - Nassau, Rathaus, Bleichstraße 1, 56310 Bad Ems, Nebengebäude Zimmer 6 während der Dienststunden bereit.

Hinweise:

Auf die Vorschriften des § 44 Abs. 3 Satz 1 und 2 sowie des Absatzes 4 des Baugesetzbuches über die fristgerechte Geltendmachung etwaiger Entschädigungsansprüche für Eingriffe in eine zulässige Nutzung durch diesen Bebauungsplan wird hingewiesen.

Ferner wird wie folgt hingewiesen auf die Rechtsfolgen des § 215 Abs. 1 Baugesetzbuch.

Unbeachtlich werden

1.

eine Verletzung der um § 214 Abs. 1 Satz 1 Nr. 1 bis 3 Baugesetzbuch bezeichneten Verfahrens- und Formvorschriften und

2.

eine unter Berücksichtigung des § 214 Abs. 2 beachtliche Verletzung der Vorschriften über das Verhältnis des Bebauungsplans und des Flächennutzungsplans und

3.

nach § 214 Abs. 2a Nr. 2-4, § 214 Abs. 3 S. 2 beachtlichen Mängel,

wenn sie nicht innerhalb eines Jahres seit dieser Bekanntmachung schriftlich gegenüber der Gemeinde / Stadt unter Darlegung des die Verletzung begründenden Sachverhalts geltend gemacht worden sind.

Es wird gemäß § 24 Abs. 6 der Gemeindeordnung für Rheinland-Pfalz (GemO) darauf hingewiesen, dass Satzungen, die unter Verletzung von Verfahrens- oder Formvorschriften der GemO oder aufgrund der GemO erlassener Verfahrens- oder Formvorschriften zustande gekommen sind, ein Jahr nach der Bekanntmachung als von Anfang an gültig zustande gekommen gelten. Dies gilt nicht, wenn

1.

die Bestimmungen über die Öffentlichkeit der Sitzung, die Genehmigung, die Ausfertigung oder die Bekanntmachung der Satzung verletzt worden sind, oder

2.

vor Ablauf der in Satz 1 genannten Frist die Aufsichtsbehörde den Beschluss beanstandet oder jemand die Verletzung der Verfahrens- oder Formvorschriften gegenüber der Verbandsgemeindeverwaltung Bad Ems-Nassau unter Bezeichnung des Sachverhalts, der die Verletzung begründen soll, schriftlich geltend gemacht hat.

Hat jemand eine Verletzung nach Satz 2 Nr. 2 geltend gemacht, so kann auch nach Ablauf der in Satz 1 genannten Frist jedermann diese Verletzung geltend machen.

56130 Bad Ems, 17. August 2023
Verbandsgemeindeverwaltung Bad Ems - Nassau
I.V. Lutz Zaun, Beigeordneter

Anlage: Lageplan