Titel Logo
Bad Ems-Nassau aktuell Ausgabe Bad Ems
Ausgabe 51/2023
Öffentliche Bekanntmachungen und sonstige Mitteilungen
Zurück zur vorigen Seite
Zurück zur ersten Seite der aktuellen Ausgabe

Bebauungsplan „Am Bühl“

Bekanntmachung

Bebauungsplan „Am Bühl“ der Ortsgemeinde Arzbach;

hier: Ergänzungssatzung Öffentliche Auslegung gemäß § 3 Abs. 2 Baugesetzbuch (BauGB)

Der vom Rat der Ortsgemeinde Arzbach in der Sitzung am 30.10.2023 gebilligte und zur Auslegung bestimmte Entwurf des oben bezeichneten Bebauungsplanes liegt mit Textfestsetzung und Begründung zu jedermanns Einsichtnahme vom 21.12.2023 bis einschließlich 19.01.2024 öffentlich aus.

Die Einsichtnahme kann im Internet unter www.vgben.de (Gemeinden - Arzbach - Aktuelle Offenlagen) oder bei der Verbandsgemeindeverwaltung Bad Ems - Nassau, Bauverwaltung, Zimmer 06, Bleichstraße 1a (Rathausnebengebäude), 56130 Bad Ems, während folgender Zeiten erfolgen:

montags - mittwochs  —  von 8.00 Uhr - 12.00 Uhr

 —  von 14.00 Uhr - 16.00 Uhr

donnerstags  —  von 8.00 Uhr - 12.00 Uhr

 —  von 14.00 Uhr - 18.00 Uhr

freitags  —  von 8.00 Uhr - 12.00 Uhr

Das Nebengebäude ist nicht barrierefrei zugänglich. Mobilitätseingeschränkte Personen erhalten die Möglichkeit, sich zum Zwecke der Einsichtnahme in die Offenlegungsunterlagen an der barrierefreien Pforte des Rathauses (Haupthaus) zu melden.

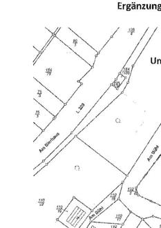
Der Geltungsbereich des Bebauungsplanes ist in nachstehend abgedrucktem Flurkartenausschnitt mit einer dicken, unterbrochenen Linie umgrenzt.

Die Durchführung einer Umweltprüfung ist für dieses Bebauungsplanverfahren unter Anwendung des § 13a BauGB nicht erforderlich und wird nicht durchgeführt.

Während der Auslegungsfrist können von jedermann Stellungnahmen zu dem Entwurf schriftlich oder innerhalb der Dienststunden zur Niederschrift vorgebracht werden. Nicht fristgerecht abgegebene Stellungnahmen können bei der Beschlussfassung über den Bebauungsplan unberücksichtigt bleiben.

Diese Bekanntmachung erfolgt im Namen der Ortsgemeinde Arzbach.

Bad Ems, den 21.12.2023
Uwe Bruchhäuser, Bürgermeister

Anlage:

Katasterausschnitt mit räumlicher Abgrenzung des Geltungsbereiches