Titel Logo
Amtsblatt der Verbandsgemeinde Diez und der Ortsgemeinden
Ausgabe 1/2025
Holzappel
Zurück zur vorigen Seite
Zurück zur ersten Seite der aktuellen Ausgabe

Aufstellung des Bebauungsplanes „Am Horhäuser Weg“ gemäß § 2 Abs. 1 Baugesetzbuch (BauGB)

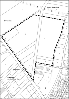
Der Gemeinderat der Ortsgemeinde Holzappel hat in seiner Sitzung am 14.02.2022 die Aufstellung des o. g. Bebauungsplanes beschlossen. Der Geltungsbereich des Bebauungsplanes ist in der nachstehenden, unmaßstäblichen Skizze mit einer dicken, schwarzen, gestrichelten Linie dargestellt. Weitere Einzelheiten werden den Beteiligten im Rahmen des Aufstellungsverfahrens zur Kenntnis gebracht.

Holzappel, den 08.01.2025
In Vertretung
Martin Groß, Beigeordneter

Bebauungsplanentwurf „Am Horhäuser Weg“;

Beteiligung der Öffentlichkeit gemäß § 3 Abs. 1 Baugesetzbuch (BauGB)

Für den o. a. Bebauungsplanentwurf findet am Dienstag, den 14.01.2025, 18.30 Uhr, im Sitzungssaal des Rathauses der Ortsgemeinde Holzappel die öffentliche Unterrichtung gemäß § 3 Abs. 1 BauGB statt. In dieser Versammlung wird der Planersteller die Planung an Hand der Entwurfspläne erläutern. Im Anschluss daran besteht die Möglichkeit zur Äußerung und Erörterung.

Der vorgesehene Geltungsbereich des Bebauungsplanentwurfes ist in der nachstehenden, unmaßstäblichen Skizze mit einer dicken, schwarzen, gestrichelten Linie dargestellt.

Holzappel, den 08.01.2025
In Vertretung
Martin Groß, Beigeordneter