Titel Logo
Amtsblatt der Verbandsgemeinde Diez und der Ortsgemeinden
Ausgabe 11/2024
Stadt Diez
Zurück zur vorigen Seite
Zurück zur ersten Seite der aktuellen Ausgabe

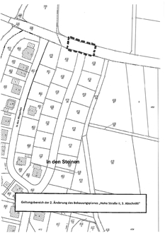
2. Änderung des Bebauungsplanes „Hohe Straße II, 3. Abschnitt“ gemäß § 2 Abs. 1 i. V. m. § 1 Abs. 8 Baugesetzbuch (BauGB)

Der Stadtrat der Stadt Diez hat in seiner Sitzung am 29.02.2024 die o. g. Bebauungsplanänderung beschlossen. Der Geltungsbereich der Bebauungsplanänderung ist in der nachstehenden, unmaßstäblichen Skizze mit einer dicken, schwarzen, gestrichelten Linie dargestellt. Weitere Einzelheiten werden den Beteiligten im Rahmen des Änderungsverfahrens zur Kenntnis gebracht.

Diez, den 13.03.2024
Annette Wick, Stadtbürgermeisterin

2. Änderung des Bebauungsplanes „Hohe Straße II, 3. Abschnitt“; Auslegung gemäß § 13 Abs. 2 Nr. 2 i. V. m. § 3 Abs. 2 Baugesetzbuch (BauGB)

Die o. a. Bebauungsplanänderung liegt in der Zeit vom 22.03.2024 bis einschließlich 22.04.2024 bei der Verbandsgemeindeverwaltung Diez, Louise-Seher-Straße 1, 65582 Diez, Zimmer 209, während der Öffnungszeiten öffentlich aus. Darüber hinaus können die Planunterlagen unter der Adresse https://www.vgdiez.de/beteiligungsverfahreneingesehen werden.

Während der Dauer der Auslegung können Stellungnahmen schriftlich oder zur Niederschrift bei der Verbandsgemeindeverwaltung Diez abgegeben werden. Nicht fristgerecht abgegebene Stellungnahmen können bei der Beschlussfassung über die Bebauungsplanänderung unberücksichtigt bleiben.

Da die Bebauungsplanänderung im vereinfachten Verfahren nach § 13 BauGB durchgeführt wird, wird von einer Umweltprüfung abgesehen (§ 13 Abs. 3 BauGB).

Der Geltungsbereich der Bebauungsplanänderung ist in der nachstehenden, unmaßstäblichen Skizze mit einer dicken, schwarzen, gestrichelten Linie dargestellt.

Diez, den 13.03.2024
Annette Wick, Stadtbürgermeisterin