Titel Logo
Amtsblatt der Verbandsgemeinde Diez und der Ortsgemeinden
Ausgabe 27/2023
Altendiez
Zurück zur vorigen Seite
Zurück zur ersten Seite der aktuellen Ausgabe

Ortsgemeinde Altendiez - Umlegungsausschuss

Bekanntmachung nach § 47 Baugesetzbuch (BauGB) in der Fassung der Bekanntmachung vom 3. November 2017 (BGBl. I S. 3634), in der jeweils geltenden Fassung

Am Dienstag, den 18. Juli 2023 findet um 17:30 Uhr in der Lahnblickhalle, Lahnblick 4, 65624 Altendiez der Anhörungstermin nach § 47 Baugesetzbuch bezüglich des angedachten Baulandumlegungsverfahrens „Am Hahnsfeld II“ statt.

Alle uns bekannten Eigentümer*innen werden schriftlich eingeladen. Unbekannte betroffene Eigentümer*innen sowie auch sonstige Rechtsinhaber*innen und Interessierte werden hiermit eingeladen.

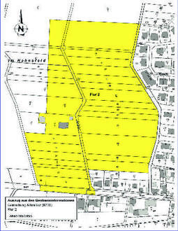
Das angedachte Umlegungsgebiet „Am Hahnsfeld II“ ist im nachfolgenden Auszug aus den Geobasisinformationen kenntlich gemacht.

Während dieses Termins wird über das Ziel, den Zweck, den allgemeinen Verfahrensablauf und die Abfindungsgrundsätze einer gesetzlichen Baulandumlegung informiert.

Die Wahrnehmung des vorgenannten Termins erfolgt im eigenen Interesse und auf eigene Kosten.

56457 Westerburg, den 29. Juni 2023
gez. Dr.-Ing. Gabriele Hückelheim
Vorsitzendes Mitglied des Umlegungsausschusses
Hinweis:

Diese Bekanntmachung ist zusätzlich im Internet unter www.vgdiez.de veröffentlicht.