Titel Logo
Amtsblatt der Verbandsgemeinde Diez und der Ortsgemeinden
Ausgabe 28/2023
Gückingen
Zurück zur vorigen Seite
Zurück zur ersten Seite der aktuellen Ausgabe

Änderung des Bebauungsplanes „Vorderer Boden II“; erneute Offenlage gemäß § 4a Abs. 3 Baugesetzbuch (BauGB)

Die o. a. Bebauungsplanänderung liegt in der Zeit vom 25.07.2023 bis einschließlich 25.08.2023 bei der Verbandsgemeindeverwaltung Diez, Louise-Seher-Straße 1, 65582 Diez, Zimmer 209, während der Öffnungszeiten erneut öffentlich aus.

Darüber hinaus können die Planunterlagen unter der Adresse https://www.vgdiez.de/beteiligungsverfahreneingesehen werden.

Umweltbezogene Informationen liegen nicht vor.

Während der Dauer der Auslegung können Stellungnahmen schriftlich oder zur Niederschrift bei der Verbandsgemeindeverwaltung Diez abgegeben werden. Nicht fristgerecht abgegebene Stellungnahmen können bei der Beschlussfassung über die Bebauungsplanänderung unberücksichtigt bleiben.

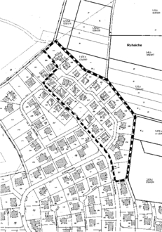
Der Geltungsbereich der Bebauungsplanänderung ist in der nachstehenden, unmaßstäblichen Skizze mit einer dicken, schwarzen, gestrichelten Linie dargestellt.

Gückingen, den 12.07.2023
Petri, Ortsbürgermeister