Titel Logo
Amtsblatt der Verbandsgemeinde Diez und der Ortsgemeinden
Ausgabe 30/2024
Altendiez
Zurück zur vorigen Seite
Zurück zur ersten Seite der aktuellen Ausgabe

Amtliche Bekanntmachungen

hier: erneute Veröffentlichung gemäß § 4a Abs. 3 Baugesetzbuch (BauGB)

Der o. a. Bebauungsplanentwurf wird in der Zeit vom 02.08.2024 bis einschließlich 02.09.2024 unter der Adresse https://www.vgdiez.de/beteiligungsverfahrenerneutveröffentlicht.

Zusätzlich liegt der Bebauungsplanentwurf in der vorgenannten Zeit bei der Verbandsgemeindeverwaltung Diez, Louise-Seher-Straße 1, 65582 Diez, Zimmer 209, während der Öffnungszeiten öffentlich aus.

Folgende Arten umweltbezogener Informationen sind verfügbar:

Die Bebauungsplanunterlagen selbst enthalten folgende Arten umweltbezogener Informationen:

Umweltbericht:

o Beschreibung und Bewertung der natürlichen Grundlagen (Bestandsaufnahme in Text und Plan),

o Prognose über die Entwicklung des Umweltzustandes bei Nichtdurchführung und Durchführung der Planung jeweils für die Schutzgüter Pflanzen, Tiere Lebensräume, Boden, Wasser, Klima/Luft, Landschaftsbild, Mensch (Erholung/Gesundheit), Kultur- und sonstige Sachgüter, Fläche, Anfälligkeit für schwere Unfälle/Katastrophen und das Wirkungsgefüge zwischen den Schutzgütern;

o Berücksichtigung artenschutzrechtlicher Belange,

o Verträglichkeit mit den Erhaltungszielen von Natura 2000-Gebieten,

o Gebietsspezifische Zielsetzungen und Hinweise für die Planung,

o Darstellung der Eingriffsschwere mit schutzgutbezogener Bewertung und Ermittlung des Kompensationsbedarfes,

o Empfehlungen für grünordnerische Festsetzungen mit Darstellung der Ausgleichsflächen außerhalb des Plangebietes und Ausgleichsflächen für die Feldlerche,

o Planungsalternativen,

o Technische Verfahren und Untersuchungsmethoden, Hinweise auf etwaige Schwierigkeiten,

o Geplante Maßnahmen zur Überwachung erheblicher Umweltauswirkungen

o und eine allgemein verständliche Zusammenfassung

Ergebnisse einer Grünlandkartierung: Untersuchung einer Grünlandfläche auf eine mögliche Einstufung als Lebensraumtyp „magere Flachland-Mähwiesen“

Fachbeitrag Artenschutz mit Aussagen zu Vögeln (mit Darstellung der Revierzentren kartierter Brutvögel im landespflegerischen Bestandsplan) und Fledermäusen sowie den Wirkfaktoren auf die Artengruppen und Maßnahmen zur Vermeidung

Schalltechnische Untersuchung zum Straßenverkehrslärm Darlegung der Grundlagen und Berechnung der maßgeblichen Außenlärmpegel und Lärmpegelbereiche

Hydrogeologischer Bericht mit Beschreibung der durchgeführten Untersuchungen und der geologisch-hydrogeologischen Situation sowie der Wasserverhältnisse und Auswertung der Kleinbohrung

Untersuchungsbericht Geophysikalische Erkundung zur Verortung von vermuteten alten, heute oberflächlich nicht mehr erkennbaren Bergwerksschächten

Die Stellungnahmen der Behörden und der Öffentlichkeit aus den bisherigen Verfahrensabschnitten enthalten folgende Arten umweltbezogener Informationen:

Stellungnahme der Generaldirektion Kulturelles Erbe RLP, Direktion Landesarchäologie mit Aussagen zur Archäologie vom 06.10.2022 und 31.12.2023

Stellungnahmen zur Inanspruchnahme landwirtschaftlicher Flächen, Abgrenzung des Plangebietes und Einbindung der Bewirtschafter vom Dienstleitungszentrums Ländlicher Raum Westerwald-Osteifel mit Aussagen vom 20.10.2022 und 23.11.2023 und von der Landwirtschaftskammer vom 27.10.2022 und 28.11.2023

Stellungnahme der Verbandsgemeindewerke Diez mit Aussagen zur Entwässerung und Wasserversorgung vom 19.10.2022

Stellungnahme der Struktur- und Genehmigungsdirektion Nord, Regionalstelle Wasserwirtschaft, Abfallwirtschaft, Bodenschutz mit Aussagen zu Oberflächengewässern, kartierten Altablagerungsflächen, Niederschlagswasserbewirtschaftung und Starkregengefährdung sowie Schutzgebieten (Wasserschutzgebiet und potenzielle Auswirkungen auf die Bebaubarkeit), vom 21.10.2022 und 04.12.2023

Stellungnahmen des Landesamtes für Geologie und Bergbau mit Aussagen zum Bergbau/Altbergbau, Baugrund und Boden allgemein und mineralischen Rohstoffen vom 19.10.2022 und 07.12.2023

Stellungnahme der Bergwerksrechteinhaberin zum Umgang mit potenziellem Altbergbau vom 22.12.2022

Stellungnahmen des Landesbetriebs Mobilität u.a. mit Aussagen zu potenziellen Emissionen aus Verkehrslärm vom 24.10.2022 und 14.11.2023

Stellungnahmen der Kreisverwaltung des Rhein-Lahn-Kreises mit Aussagen zur Wasserwirtschaft (Wasserschutzgebiet, Versickerung-/Rückhaltung von Niederschlagswasser, Starkregen), zum Naturschutz (Erforderlichkeit einer artenschutzrechtlichen Betrachtung, Eingriffs-/Ausgleichsbilanzierung, Eingrünung, Monitoring, Aussagen zu den einzelnen Ausgleichsflächen und zur Eintragung in das Kompensationsverzeichnis) sowie zur Landwirtschaft (u.a. Ertrag der Flächen) vom 02.11.2022 und 30.11.2023

Stellungnahmen aus der Öffentlichkeit zur Bebauungsdichte, Gebäudehöhe, Versiegelung (Grundflächenzahl), Grünflächenanteil, Entwässerung, Zahl der Stellplätze, Verkehrsführung, Abstellplätzen für Abfallsammelbehälter, Randeingrünung, zur Streuobstwiese und zum Vorkommen einzelner geschützter Arten

Änderungen und Ergänzungen des Bebauungsplanentwurfes aus den vorangegangenen Beteiligungsverfahrens sind in den Planunterlagen gekennzeichnet. Stellungnahmen zu diesen Änderungen oder Ergänzungen und deren möglichen Auswirkungen können während der Dauer der Veröffentlichungsfrist bei der Verbandsgemeindeverwaltung Diez abgegeben werden. Stellungnahmen sollen elektronisch übermittelt werden, können bei Bedarf aber auch auf anderem Weg bei der Verbandsgemeindeverwaltung Diez abgegeben werden. Nicht fristgerecht abgegebene Stellungnahmen können bei der Beschlussfassung über den Bebauungsplan unberücksichtigt bleiben.

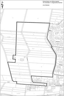
Der Geltungsbereich des Bebauungsplanes ist in der nachstehenden, unmaßstäblichen Skizze mit einer dicken, schwarzen, gestrichelten Linie dargestellt.

Altendiez, den 24.07.2024
In Vertretung
Konrad Schuler, Beigeordneter