Titel Logo
Amtsblatt der Verbandsgemeinde Diez und der Ortsgemeinden
Ausgabe 31/2022
Stadt Diez
Zurück zur vorigen Seite
Zurück zur ersten Seite der aktuellen Ausgabe

Aufstellung des Bebauungsplanes „Obere Limburger Straße 2“ gemäß § 2 Abs. 1 i. V. m. § 1 Abs. 8 Baugesetzbuch (BauGB)

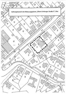
Der Stadtrat der Stadt Diez hat in seiner Sitzung am 31.03.2022 die Aufstellung des o. g. Bebauungsplanes beschlossen. Mit der Aufstellung des Bebauungsplanes sollen die bauplanungsrechtlichen Voraussetzungen zur Errichtung von zwei Mehrfamilienwohnhäusern geschaffen werden. Der Geltungsbereich des Bebauungsplanes ist in der nachstehenden, unmaßstäblichen Skizze mit einer dicken, schwarzen, gestrichelten Linie dargestellt.

Die Aufstellung des Bebauungsplanes wird im beschleunigten Verfahren nach § 13a BauGB ohne Durchführung einer Umweltprüfung nach § 2 Abs. 4 BauGB durchgeführt. Die Öffentlichkeit kann sich bei der Verbandsgemeindeverwaltung Diez, Louise-Seher-Straße 1, 65582 Diez, Zimmer 209, während der Öffnungszeiten über die allgemeinen Ziele und Zwecke der Planung sowie die Auswirkungen der Planung unterrichten und sich bis zum Ablauf der Offenlage nach § 3 Abs. 2 BauGB (siehe nachstehende Bekanntmachung) zur Planung äußern.

Diez, den 03.08.2022 —  Wick, Stadtbürgermeisterin

Aufstellung des Bebauungsplanes „Obere Limburger Straße 2“;

Offenlage gemäß § 3 Abs. 2 Baugesetzbuch (BauGB)

Der o. a. Bebauungsplan liegt in der Zeit vom 12.08.2022 bis einschließlich 12.09.2022 bei der Verbandsgemeindeverwaltung Diez, Louise-Seher-Straße 1, 65582 Diez, Zimmer 209, während der Öffnungszeiten öffentlich aus.

Darüber hinaus können die Planunterlagen unter der Adresse https://www.vgdiez.de/beteiligungsverfahren eingesehen werden.

Umweltbezogene Informationen liegen nicht vor.

Während der Dauer der Auslegung können Stellungnahmen schriftlich oder zur Niederschrift bei der Verbandsgemeindeverwaltung Diez abgegeben werden. Nicht fristgerecht abgegebene Stellungnahmen können bei der Beschlussfassung über den Bebauungsplan unberücksichtigt bleiben.

Der Geltungsbereich des Bebauungsplanes ist in der nachstehenden, unmaßstäblichen Skizze mit einer dicken, schwarzen, gestrichelten Linie dargestellt.

Diez, den 03.08.2022  —  Wick, Stadtbürgermeisterin