Titel Logo
Amtsblatt der Verbandsgemeinde Diez und der Ortsgemeinden
Ausgabe 34/2023
Stadt Diez
Zurück zur vorigen Seite
Zurück zur ersten Seite der aktuellen Ausgabe

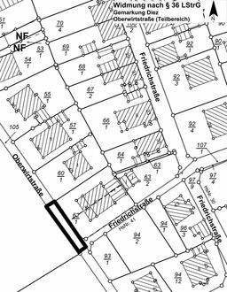
Widmung eines Teilbereiches der Oberwirtstraße

Gemäß § 36 Landesstraßengesetz (LStrG) für Rheinland-Pfalz vom 01.08.1977, in der derzeit geltenden Fassung, und aufgrund des Beschlusses des Stadtrates der Stadt Diez vom 27.07.2023 wird folgender Teilbereich der Oberwirtstraße dem öffentlichen Verkehr gewidmet.

Verkehrsanlage

Gemarkung

Flur

Flurstück

Oberwirtstraße (tlw.)

Diez

41

105 (tlw.)

Der beigefügte unmaßstäbliche Lageplan, in der die gewidmete Fläche mit dicker schwarzer Linie markiert ist, ist Bestandteil dieser Widmungsverfügung. Träger der Straßenbaulast ist gemäß § 14 LStrG die Stadt Diez. Die Einstufung der Straße erfolgt gemäß § 3 Satz 1 Nr. 3 a) LStrG als Gemeindestraße.

Diese Verfügung wird nach dem Tag der öffentlichen Bekanntmachung wirksam.

Die Widmungsverfügung und der Lageplan können während der Öffnungszeiten bei der Verbandsgemeindeverwaltung Diez, Louise-Seher-Straße 1, 3. Stock, Zimmer D 03, 65582 Diez, eingesehen werden.

Rechtsbehelfsbelehrung

Gegen diese Verfügung kann innerhalb eines Monats nach Bekanntgabe Widerspruch erhoben werden. Der Widerspruch ist bei der Verbandsgemeindeverwaltung Diez, Louise-Seher-Straße 1, 65582 Diez schriftlich, zur Niederschrift oder in elektronischer Form nach § 3a Abs. 2 Verwaltungsverfahrensgesetz zu erheben.

Diez, den 16.08.2023
Verbandsgemeindeverwaltung Diez
In Vertretung
Torsten Loosen, Erster Beigeordneter