Titel Logo
Mitteilungsblatt der Verbandsgemeinde Diez und der Ortsgemeinden
Ausgabe 36/2025
Holzappel
Zurück zur vorigen Seite
Zurück zur ersten Seite der aktuellen Ausgabe

1. Änderung des Bebauungsplanes „Hahnerhoffeld“ gemäß § 2 Abs. 1 i. V. m. § 1 Abs. 8 Baugesetzbuch (BauGB)

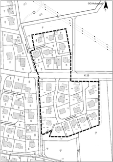
Der Gemeinderat der Ortsgemeinde Holzappel hat in seiner Sitzung am 11.08.2025 die o. g. Bebauungsplanänderung beschlossen. Mit der Bebauungsplanänderung soll die bislang ausgeschlossene Nutzungsart „nicht störende Gewerbebetriebe“ ermöglicht werden. Der Geltungsbereich der Bebauungsplanänderung ist in der nachstehenden, unmaßstäblichen Skizze mit einer dicken, schwarzen, gestrichelten Linie dargestellt.

Die Bebauungsplanänderung wird im beschleunigten Verfahren nach § 13a BauGB ohne Durchführung einer Umweltprüfung nach § 2 Abs. 4 BauGB durchgeführt. Die Öffentlichkeit kann sich bei der Verbandsgemeindeverwaltung Diez, Louise-Seher-Straße 1, 65582 Diez, Zimmer 209, während der Öffnungszeiten über die allgemeinen Ziele und Zwecke der Planung sowie die Auswirkungen der Planung unterrichten und sich bis zum Ablauf der Offenlage nach § 3 Abs. 2 BauGB (siehe nachstehende Bekanntmachung) zur Planung äußern.

Holzappel, den 03.09.2025
Harald Nöllge, Ortsbürgermeister

1. Änderung des Bebauungsplanes „Hahnerhoffeld“

hier: Veröffentlichung gemäß § 3 Abs. 2 Baugesetzbuch (BauGB)

Der o. a. Bebauungsplanentwurf ist in der Zeit vom 12.09.2025 bis einschließlich 13.10.2025 unter der Adresse https://www.vgdiez.de/beteiligungsverfahren veröffentlicht.

Zusätzlich liegt der Bebauungsplanentwurf in der vorgenannten Zeit bei der Verbandsgemeindeverwaltung Diez, Louise-Seher-Straße 1, 65582 Diez, Zimmer 209, während der Öffnungszeiten öffentlich aus.

Umweltbezogene Informationen liegen nicht vor.

Stellungnahmen zum Bebauungsplanentwurf können während der Dauer der Veröffentlichungsfrist bei der Verbandsgemeindeverwaltung Diez abgegeben werden. Stellungnahmen sollen elektronisch übermittelt werden, können bei Bedarf aber auch auf anderem Weg bei der Verbandsgemeindeverwaltung Diez abgegeben werden. Nicht fristgerecht abgegebene Stellungnahmen können bei der Beschlussfassung über den Bebauungsplan unberücksichtigt bleiben.

Der Geltungsbereich der Bebauungsplanänderung ist in der nachstehenden, unmaßstäblichen Skizze mit einer dicken, schwarzen, gestrichelten Linie dargestellt.

Holzappel, den 03.09.2025
Harald Nöllge, Ortsbürgermeister