Titel Logo
Mitteilungsblatt der Verbandsgemeinde Diez und der Ortsgemeinden
Ausgabe 40/2025
Holzappel
Zurück zur vorigen Seite
Zurück zur ersten Seite der aktuellen Ausgabe

1. Änderung des Bebauungsplanes „Hahnerhoffeld“

hier: Veröffentlichung gemäß § 3 Abs. 2 Baugesetzbuch (BauGB) - Korrektur -

In der DIEZeitung vom 03.09.2025 wurde die Veröffentlichung der 1. Änderung des Bebauungsplanes „Hahnerhoffeld“ gemäß § 3 Abs. 2 Baugesetzbuch (BauGB) bekanntgemacht. Diese Bekanntmachung wird hiermit aufgehoben und durch die nachfolgende ersetzt:

Der o. a. Bebauungsplanentwurf ist in der Zeit vom 10.10.2025 bis einschließlich 10.11.2025 unter der Adresse

https://www.vgdiez.de/beteiligungsverfahren veröffentlicht.

Zusätzlich liegt der Bebauungsplanentwurf in der vorgenannten Zeit bei der Verbandsgemeindeverwaltung Diez, Louise-Seher-Straße 1, 65582 Diez, Zimmer 209, während der Öffnungszeiten öffentlich aus.

Umweltbezogene Informationen liegen nicht vor.

Stellungnahmen zum Bebauungsplanentwurf können während der Dauer der Veröffentlichungsfrist bei der Verbandsgemeindeverwaltung Diez abgegeben werden. Stellungnahmen sollen elektronisch übermittelt werden, können bei Bedarf aber auch auf anderem Weg bei der Verbandsgemeindeverwaltung Diez abgegeben werden. Nicht fristgerecht abgegebene Stellungnahmen können bei der Beschlussfassung über den Bebauungsplan unberücksichtigt bleiben.

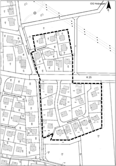
Der Geltungsbereich der Bebauungsplanänderung ist in der nachstehenden, unmaßstäblichen Skizze mit einer dicken, schwarzen, gestrichelten Linie dargestellt.

Holzappel, den 01.10.2025
Harald Nöllge, Ortsbürgermeister