Titel Logo
Amtsblatt der Verbandsgemeinde Diez und der Ortsgemeinden
Ausgabe 44/2022
Stadt Diez
Zurück zur vorigen Seite
Zurück zur ersten Seite der aktuellen Ausgabe

4. Änderung des Bebauungsplanes „Freiendiez I“

hier: Bekanntmachung gemäß § 10 Abs. 3 Baugesetzbuch (BauGB)

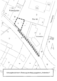
Der Stadtrat der Stadt Diez hat in seiner Sitzung am 29.09.2022 die o. g. Bebauungsplanänderung gemäß § 10 Abs. 1 BauGB als Satzung beschlossen. Der Geltungsbereich der Bebauungsplanänderung ist in der nachstehenden, unmaßstäblichen Skizze mit einer dicken, schwarzen, gestrichelten Linie dargestellt. Die Bebauungsplanänderung wird gemäß § 10 Abs. 3 BauGB mit der Bekanntmachung des Satzungsbeschlusses rechtswirksam und liegt ab diesem Zeitpunkt zu jedermanns Einsichtnahme bei der Verbandsgemeindeverwaltung Diez, Louise-Seher-Straße 1, 65582 Diez, Zimmer 209, öffentlich aus.

Auf folgende Vorschriften des Baugesetzbuches (BauGB) und der Gemeindeordnung (GemO) wird hingewiesen:

§ 44 Abs. 3 Satz 1 und 2 und Abs. 4 BauGB

(Entschädigungspflichtige, Fälligkeit und Erlöschen der Entschädigungsansprüche)

Abs. 3 Satz 1 und 2

Der Entschädigungsberechtigte kann Entschädigung verlangen, wenn die in den §§ 39 bis 42 BauGB bezeichneten Vermögensnachteile eingetreten sind. Er kann die Fälligkeit des Anspruchs dadurch herbeiführen, dass er die Leistung der Entschädigung schriftlich bei dem Entschädigungspflichtigen beantragt.

Absatz 4

Ein Entschädigungsanspruch erlischt, wenn nicht innerhalb von 3 Jahren nach Ablauf des Kalenderjahres, in dem die in Absatz 3 Satz 1 bezeichneten Vermögensnachteile eingetreten sind, die Fälligkeit des Anspruchs herbeigeführt wird.

§ 214 Abs. 1 bis 3 BauGB

(Beachtlichkeit der Verletzung von Vorschriften über die Aufstellung des Flächennutzungsplanes und der Satzungen)

Absatz 1

Eine Verletzung von Verfahrens- und Formvorschriften dieses Gesetzbuches ist für die Rechtswirksamkeit des Flächennutzungsplanes und der Satzungen nach diesem Gesetzbuch nur beachtlich, wenn

1.

entgegen § 2 Abs. 3 die von der Planung berührten Belange, die der Gemeinde bekannt waren oder hätten bekannt sein müssen, in wesentlichen Punkten nicht zutreffend ermittelt oder bewertet worden sind und wenn der Mangel offensichtlich und auf das Ergebnis des Verfahrens von Einfluss gewesen ist;

2.

die Vorschriften über die Öffentlichkeits- und Behördenbeteiligung nach § 3 Abs. 2, § 4 Abs. 2, § 4a Abs. 3 und 5 Satz 2, § 13 Abs. 2 Satz 1 Nr. 2 und 3 (auch in Verbindung mit § 13a Abs. 2 Nr. 1), § 22 Abs. 9 Satz 2, § 34 Abs. 6 Satz 1 sowie § 35 Abs. 6 Satz 5 verletzt worden sind; dabei ist unbeachtlich, wenn bei Anwendung der Vorschriften einzelne Personen, Behörden oder sonstige Träger öffentlicher Belange nicht beteiligt worden sind, die entsprechenden Belange jedoch unerheblich waren oder in der Entscheidung berücksichtigt worden sind, oder einzelne Angaben dazu, welche Arten umweltbezogener Informationen verfügbar sind, gefehlt haben, oder der Hinweis nach § 3 Abs. 2 Satz 2 Halbsatz 2 (auch in Verbindung mit § 13 Abs. 2 Satz 2 und § 13a Abs. 2 Nr. 1) gefehlt hat, oder bei Anwendung des § 13 Abs. 3 Satz 2 die Angabe darüber, dass von einer Umweltprüfung abgesehen wird, unterlassen wurde, oder bei Anwendung des § 4a Abs. 3 Satz 4 oder des § 13 (auch in Verbindung mit § 13a Abs. 2 Nr. 1) die Voraussetzungen für die Durchführung der Beteiligung nach diesen Vorschriften verkannt worden sind;

3.

die Vorschriften über die Begründung des Flächennutzungsplans und der Satzungen sowie ihrer Entwürfe nach § 2a, § 3 Abs. 2, § 5 Abs. 1 Satz 2 Halbsatz 2 und Abs. 5, § 9 Abs. 8 und § 22 Abs. 10 verletzt worden sind; dabei ist unbeachtlich, wenn die Begründung des Flächennutzungsplans oder der Satzung oder ihr Entwurf unvollständig ist; abweichend von Halbsatz 2 ist eine Verletzung von Vorschriften in Bezug auf den Umweltbericht unbeachtlich, wenn die Begründung hierzu nur in unwesentlichen Punkten unvollständig ist;

4.

ein Beschluss der Gemeinde über den Flächennutzungsplan oder die Satzung nicht gefasst, eine Genehmigung nicht erteilt oder der mit der Bekanntmachung des Flächennutzungsplans oder der Satzung verfolgte Hinweiszweck nicht erreicht worden ist.

Soweit in den Fällen des Satzes 1 Nr. 3 die Begründung in wesentlichen Punkten unvollständig ist, hat die Gemeinde auf Verlangen Auskunft zu erteilen, wenn ein berechtigtes Interesse dargelegt wird.

Absatz 2

Für die Rechtswirksamkeit der Bauleitpläne ist auch unbeachtlich, wenn

  1. die Anforderungen an die Aufstellung eines selbständigen Bebauungsplans (§ 8 Abs. 2 Satz 2) oder an die in § 8 Abs. 4 bezeichneten dringenden Gründe für die Aufstellung eines vorzeitigen Bebauungsplanes nicht richtig beurteilt worden sind;
  2. § 8 Abs. 2 Satz 1 hinsichtlich des Entwickelns des Bebauungsplanes aus dem Flächennutzungsplan verletzt worden ist, ohne dass hierbei die sich aus dem Flächennutzungsplan ergebende geordnete städtebauliche Entwicklung beeinträchtigt worden ist;
  3. der Bebauungsplan aus einem Flächennutzungsplan entwickelt worden ist, dessen Unwirksamkeit sich wegen Verletzung von Verfahrens- oder Formvorschriften einschließlich des § 6 nach Bekanntmachung des Bebauungsplanes herausstellt;
  4. im Parallelverfahren gegen § 8 Abs. 3 verstoßen worden ist, ohne dass die geordnete städtebauliche Entwicklung beeinträchtigt worden ist.

Absatz 2a

Für Bebauungspläne, die im beschleunigten Verfahren nach § 13a, auch in Verbindung mit § 13b, aufgestellt worden sind, gilt ergänzend zu den Absätzen 1 und 2 Folgendes:

1.

(weggefallen)

2.

Das Unterbleiben der Hinweise nach § 13a Abs. 3 ist für die Rechtswirksamkeit des Bebauungsplans unbeachtlich.

3.

Beruht die Feststellung, dass eine Umweltprüfung unterbleiben soll, auf einer Vorprüfung des Einzelfalls nach § 13a Abs. 1 Satz 2 Nr. 2, gilt die Vorprüfung als ordnungsgemäß durchgeführt, wenn sie entsprechend den Vorgaben von § 13a Abs. 1 Satz 2 Nr. 2 durchgeführt worden ist und ihr Ergebnis nachvollziehbar ist; dabei ist unbeachtlich, wenn einzelne Behörden oder sonstige Träger öffentlicher Belange nicht beteiligt worden sind; andernfalls besteht ein für die Rechtswirksamkeit des Bebauungsplans beachtlicher Mangel.

4.

Die Beurteilung, dass der Ausschlussgrund nach § 13a Abs. 1 Satz 4 nicht vorliegt, gilt als zutreffend, wenn das Ergebnis nachvollziehbar ist und durch den Bebauungsplan nicht die Zulässigkeit von Vorhaben nach Spalte 1 der Anlage 1 zum Gesetz über die Umweltverträglichkeitsprüfung begründet wird; andernfalls besteht ein für die Rechtswirksamkeit des Bebauungsplans beachtlicher Mangel.

Absatz 3

Für die Abwägung ist die Sach- und Rechtslage im Zeitpunkt der Beschlussfassung über den Flächennutzungsplan oder der Satzung maßgebend. Mängel, die Gegenstand der Regelung in Absatz 1 Satz 1 Nr. 1 sind, können nicht als Mängel der Abwägung geltend gemacht werden; im Übrigen sind Mängel im Abwägungsvorgang nur erheblich, wenn sie offensichtlich und auf das Abwägungsergebnis von Einfluss gewesen sind.

§ 215 Abs. 1 BauGB

(Frist für die Geltendmachung der Verletzung von Vorschriften)

Absatz 1

Unbeachtlich werden

1.

eine nach § 214 Abs. 1 Satz 1 bis 3 beachtliche Verletzung der dort bezeichneten Verfahrens- und Formvorschriften,

2.

eine unter Berücksichtigung des § 214 Abs. 2 beachtliche Verletzung der Vorschriften über das Verhältnis des Bebauungsplanes und des Flächennutzungsplanes und

3.

nach § 214 Abs. 3 Satz 2 beachtliche Mängel des Abwägungsvorganges,

wenn sie nicht innerhalb eines Jahres seit Bekanntmachung des Flächennutzungsplanes oder der Satzung schriftlich gegenüber der Gemeinde unter Darlegung des die Verletzung begründenden Sachverhalts geltend gemacht worden sind. Satz 1 gilt entsprechend, wenn Fehler nach § 214 Abs. 2a beachtlich sind.

§ 24 Abs. 6 GemO

Satzungen, die unter Verletzung von Verfahrens- und Formvorschriften dieses Gesetzes oder auf Grund dieses Gesetzes zustande gekommen sind, gelten ein Jahr nach der Bekanntmachung als von Anfang an gültig zustande gekommen. Dies gilt nicht, wenn

  1. die Bestimmungen über die Öffentlichkeit der Sitzung, die Genehmigung, die Ausfertigung oder die Bekanntmachung verletzt worden sind, oder
  2. vor Ablauf der in Satz 1 genannten Frist die Aufsichtsbehörde den Beschluss beanstandet oder jemand die Verletzung der Verfahrens- oder Formvorschriften gegenüber der Gemeindeverwaltung unter Bezeichnung des Sachverhalts, der die Verletzung begründen soll, schriftlich geltend gemacht hat.

Hat jemand eine Verletzung nach Satz 2 Nr. 2 geltend gemacht, so kann auch nach Ablauf der in Satz 1 genannten Frist jedermann diese Verletzung geltend machen.

Eine etwaige Verletzung der Vorschriften des BauGB oder der GemO ist schriftlich unter Bezeichnung der Tatsachen, die eine solche Rechtsverletzung begründen können, bei der Verbandsgemeindeverwaltung Diez, 65582 Diez, Louise-Seher-Str. 1, Zimmer 209 geltend zu machen.

Diez, den 02.11.2022  —  Wick, Stadtbürgermeisterin