Titel Logo
Amtsblatt der Verbandsgemeinde Diez und der Ortsgemeinden
Ausgabe 46/2023
Altendiez
Zurück zur vorigen Seite
Zurück zur ersten Seite der aktuellen Ausgabe

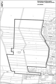
Aufstellung des Bebauungsplanes „Am Hahnsfeld II“

gemäß § 2 Abs. 1 Baugesetzbuch (BauGB)

Der Gemeinderat der Ortsgemeinde Altendiez hat in seinen Sitzungen am 07.02.2022 und 07.12.2022 die Aufstellung des o. g. Bebauungsplanes beschlossen. Der Geltungsbereich des Bebauungsplanes ist in der nachstehenden, unmaßstäblichen Skizze mit einer dicken, schwarzen, gestrichelten Linie dargestellt. Weitere Einzelheiten werden den Beteiligten im Rahmen des Aufstellungsverfahrens zur Kenntnis gebracht (vgl. Bekanntmachung vom 25.10.2023).

Altendiez, den 15.11.2023
Konrad Schuler, Beigeordneter