Titel Logo
Amtsblatt der Verbandsgemeinde Diez und der Ortsgemeinden
Ausgabe 5/2025
Birlenbach
Zurück zur vorigen Seite
Zurück zur ersten Seite der aktuellen Ausgabe

Aufstellung des Bebauungsplanes „An der Diezer Straße“ gemäß § 2 Abs. 1 Baugesetzbuch (BauGB)

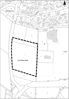
Der Gemeinderat der Ortsgemeinde Birlenbach hat in seiner Sitzung am 30.10.2023 die Aufstellung des o. g. Bebauungsplanes beschlossen. Der Geltungsbereich des Bebauungsplanes ist in der nachstehenden, unmaßstäblichen Skizze mit einer dicken, schwarzen, gestrichelten Linie dargestellt. Planungsziel ist die Bereitstellung von Gewerbeflächen. Weitere Einzelheiten werden den Beteiligten im Rahmen des Aufstellungsverfahrens zur Kenntnis gebracht.

Birlenbach, den 29.01.2025
Thorsten Riedel, Ortsbürgermeister

Bebauungsplanentwurf „An der Diezer Straße“;

Beteiligung der Öffentlichkeit gemäß § 3 Abs. 1 Baugesetzbuch (BauGB)

Für den o. a. Bebauungsplanentwurf findet am Dienstag, den 11.02.2025, 18.30 Uhr, im Sitzungssaal des Rathauses der Ortsgemeinde Birlenbach, Schulstraße 19, Birlenbach, die öffentliche Unterrichtung gemäß § 3 Abs. 1 BauGB statt. In dieser Versammlung wird der Planersteller die Planung an Hand der Entwurfspläne erläutern. Im Anschluss daran besteht die Möglichkeit zur Äußerung und Erörterung.

Der vorgesehene Geltungsbereich des Bebauungsplanentwurfes ist in der nachstehenden, unmaßstäblichen Skizze mit einer dicken, schwarzen, gestrichelten Linie dargestellt.

Birlenbach, den 29.01.2025
Thorsten Riedel, Ortsbürgermeister