Titel Logo
Mitteilungsblatt der Verbandsgemeinde Aar-Einrich Ausgabe Hahnstätten
Ausgabe 40/2023
Allgemeines aus den Ortsgemeinden
Zurück zur vorigen Seite
Zurück zur ersten Seite der aktuellen Ausgabe

Zweckvereinbarung zwischen der Ortsgemeinde Burgschwalbach und der Ortsgemeinde Hahnstätten

für die Ausbaumaßnahme im Ortsteil Zollhaus „Ausbau der K 64 „Burgschwalbacher Straße“ in der Ortsgemeinde Burgschwalbach

Zwischen der Ortsgemeinde Burgschwalbach, vertreten durch den Ortsbürgermeister Ehrenfried Bastian, und der Ortsgemeinde Hahnstätten, vertreten durch den Ortsbürgermeister Joachim Egert, wird gem. § 12 Abs. 1 des Landesgesetzes über die kommunale Zusammenarbeit (KomZG) in Verbindung mit § 119 der Gemeindeordnung (GemO), in den zur Zeit geltenden Fassungen, folgende Zweckvereinbarung geschlossen:

Vorbemerkung:

Im Ortsteil Zollhaus soll die K 64 -Burgschwalbacher Straße- ausgebaut werden.

Der Ortsteil Zollhaus gliedert sich auf in die Gebietsteile der Ortsgemeinden Hahnstätten, Burgschwalbach, Mudershausen und Schiesheim. Im Bereich der Gemarkung Burgschwalbach werden durch die Kreisstraße 64 -Burgschwalbacher Straße- in der Ortsdurchfahrt im Ortsteil Zollhaus sowohl Grundstücke der Ortsgemeinde Burgschwalbach als auch Grundstücke der Ortsgemeinde Hahnstätten erschlossen. Die baulich nutzbaren Grundstücke von Hahnstätten im Ortsteil Zollhaus sind ebenso wie die baulich nutzbaren Grundstücke von Burgschwalbach im Ortsteil Zollhaus auf die Erschließung durch die K 64 angewiesen. Die Nebenanlagen an der K 64 im Ortsteil Zollhaus sollen erneuert werden. An den beitragsfähigen Kosten für diese Ausbaumaßnahme sollen die Anlieger beider Ortsgemeinden im Ortsteil Zollhaus beteiligt werden.

§ 1 Allgemeines

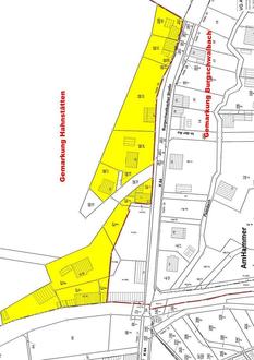
(1) Durch die im Eigentum bzw. in der Baulast der Ortsgemeinde Burgschwalbach innerhalb des im Zusammenhang bebauten Ortsteils Zollhaus liegende Verkehrsanlage K64 -Burgschwalbacher Straße- sind auch Grundstücke erschlossen, die in der Gemarkung Hahnstätten liegen. Diese, in der Gemarkung Hahnstätten liegenden Grundstücke, werden allein durch die Verkehrsanlage K 64 erschlossen (siehe beigefügter Lageplan -Anlage 1-)

(2) Die Ortsgemeinde Hahnstätten kann von den vorstehend betroffenen Grundstückseigentümern keine Ausbaubeiträge nach den Bestimmungen des Kommunalabgabengesetzes (KAG) erheben, da die betreffenden Grundstücke nicht durch eine in ihrer Baulast stehende Verkehrsanlage erschlossen werden.

(3) Die Ortsgemeinde Burgschwalbach kann für die Grundstücke, die in der Gemarkung Hahnstätten liegen, keine Ausbaubeitrag nach den Bestimmungen des KAG erheben, da diese Grundstücke nicht von der Beitragssatzung der Ortsgemeinde Burgschwalbach erfaßt werden.

In beiden Ortsgemeinden bestehen Satzungen zur Erhebung einmaliger Ausbaubeiträge für den Ausbau von Verkehrsanlagen

a)

Satzung zur Erhebung von Einmalbeiträgen nach tatsächlichen Investitionsaufwendungen für den Ausbau von Verkehrsanlagen (Ausbaubeitragssatzung Einzelabrechnung) der Ortsgemeinde Burgschwalbach vom 26.05.2003

b)

Satzung zur Erhebung von Einmalbeiträgen nach tatsächlichen Investitionsaufwendungen für den Ausbau von Verkehrsanlagen im Ortsteil Hahnstätten-Zollhaus (Ausbaubeitragssatzung Einzelabrechnung) der Ortsgemeinde Hahnstätten vom 26.08.2011, geändert mit Satzung vom 20.09.2011.

§ 2 Zweck der Vereinbarung

(1) Zweck der Vereinbarung ist die Regelung des Rechts auf Beitragserhebung.

(2) Die Ortsgemeinde Burgschwalbach trägt die alleinige Straßenbaulast für die Nebenanlagen der K 64 -Burgschwalbacher Straße- in der Gemarkung Burgschwalbach, soweit diese nicht durch den Landkreis zu tragen ist.

(3) Die Gemeinde Burgschwalbach kann von den betroffenen Grundstückseigentümern, deren Grundstücke in der Gemarkung Hahnstätten liegen, keine Ausbaubeiträge nach den Bestimmungen des KAG erheben, da diese nicht im Hoheitsgebiet der Ortsgemeinde Burgschwalbach liegen und daher nicht durch deren Beitragssatzung erfaßt werden. Hierbei handelt es sich um die nachfolgend genannten Grundstücke in der Gemarkung Hahnstätten, Flur 23

Flurstücke: 67/5, 67/6, 67/7, 67/8, 67/3, 67/1,68/17, 68/24, 68/23, 68/22,261/1, 286/68

Die betroffenen Grundstücke sind in dem der Zweckvereinbarung beigefügten Lageplan (Anlage 1) farblich dargestellt.

(4) Die Ortsgemeinde Hahnstätten überträgt der Ortsgemeinde Burgschwalbach das Recht auf Erhebung von Ausbaubeiträgen für die in der Gemarkung Hahnstätten liegenden und unter Abs. 3 näher bezeichneten Grundstücke.

§ 3 Satzungszustimmung

Die Ortsgemeinde Hahnstätten stimmt der Satzung der Ortsgemeinde Burgschwalbach zur Erhebung von Einmalbeiträgen nach tatsächlichen Investitionsaufwendungen für den Ausbau von Verkehrsanlagen (Ausbaubeitragssatzung Einzelabrechnung) vom 26.05.2003 zu.

Somit gilt diese Satzung auch für die in § 2 Abs. 3 dieser Vereinbarung näher bezeichneten Grundstücke. Die Satzung wurde im Mitteilungsblatt für den Bereich der Verbandsgemeinde Hahnstätten am 12.06.2003 (Nr. 24) öffentlich bekanntgemacht.

§ 4 Vermittlung bei Streitigkeiten

Die Vermittlung bei Streitigkeiten aus dieser Vereinbarung wird dem Bürgermeister der Verbandsgemeinde Aar-Einrich übertragen.

Die Vermittlung ist vor einer gerichtlichen Auseinandersetzung anzurufen.

§ 5 Gültigkeit

(1) Diese Vereinbarung bedarf der Genehmigung durch die Aufsichtsbehörde.

(2) Diese Vereinbarung gilt solange bis die Baumaßnahme an der K 64 -Burgschwalbacher Straße- abgeschlossen, Ausbaubeiträge erhoben, endabgerechnet und bestandskräftig sind.

§ 6 Inkrafttreten

(1) Dieser Vereinbarung wurde von den Ortsgemeinderäten Burgschwalbach (Beschluß vom 11.05.2023) und Hahnstätten (Beschluß vom 15.05.2023) zugestimmt.

(2) Diese Zweckvereinbarung tritt mit dem Tage ihrer Bekanntmachung in Kraft.

Burgschwalbach, den 15.05.2023  —  Hahnstätten, den 25.07.2023
Ehrenfried Bastian —  Joachim Egert
Ortsbürgermeister  —  Ortsbürgermeister

Genehmigung/Zustimmung der Kreisverwaltung des Rhein-Lahn-Kreises, Insel Silberau 1, 56130 Bad Ems vom 13.09.2023

Genehmigung der Aufsichtsbehörde nach § 12 Abs. 2 KomZG

Der Abschluss dieser Zweckvereinbarung wird nach § 12 Abs. 2 des Landesgesetzes über die kommunale Zusammenarbeit (KomZG) vom 22.12.1982 in der derzeit gültigen Fassung durch die Kreisverwaltung des Rhein-Lahn-Kreises als Aufsichtsbehörde genehmigt.

Bad Ems, 13.09.2023
Kreisverwaltung des Rhein-Lahn-Kreises
In Vertretung: Harald Fuchs

Hinweis:

Es wird darauf hingewiesen, dass nach § 24 Abs. 6 der Gemeindeordnung für Rheinland-Pfalz (GemO) in der zur Zeit geltenden Fassung die Zweckvereinbarung, die unter Verletzung von Verfahrens- und Formvorschriften dieses Gesetzes oder auf Grund dieses Gesetzes zustande gekommen ist, ein Jahr nach der Bekanntmachung als von Anfang an gültig zustande gekommen gilt. Dies gilt nicht, wenn

  1. die Bestimmungen über die Öffentlichkeit der Sitzung, die Genehmigung, die Ausfertigung oder die Bekanntmachung der Zweckvereinbarung verletzt worden sind, oder

  2. vor Ablauf der in Satz 1 genannten Frist die Aufsichtsbehörde den Beschluss beanstandet oder jemand die Verletzung der Verfahrens- oder Formvorschriften gegenüber der Gemeindeverwaltung unter Bezeichnung des Sachverhaltes, der die Verletzung begründen soll, schriftlich geltend gemacht hat.

Hat jemand eine Verletzung nach Satz 2 Nr. 2 geltend gemacht, so kann auch nach Ablauf der in Satz 1 genannten Frist jedermann diese Verletzung geltend machen. Bei der Bekanntmachung der Zweckvereinbarung ist auf die Voraussetzungen für die Geltendmachung der Verletzung von Verfahrens- oder Formvorschriften und die Rechtsfolgen hinzuweisen. Die Zweckvereinbarung mit deren Anlagen können während der Dienststunden bei der Verbandsgemeindeverwaltung Aar-Einrich eingesehen werden.

Verbandsgemeindeverwaltung Aar-Einrich
Katzenelnbogen, den 25.09.2023
Lars Denninghoff, Bürgermeister