Titel Logo
Kleeblatt - Amtliches Bekanntmachungsorgan der Stadt Bendorf
Ausgabe 2/2026
Aus dem Rathaus
Zurück zur vorigen Seite
Zurück zur ersten Seite der aktuellen Ausgabe
-

Der Stadtrat hat in seiner Sitzung am 17.09.2024 den vorgenannten Bebauungsplan gem. § 10 Abs. 1 Baugesetzbuch (BauGB) als Satzung beschlossen. Der Bebauungsplan tritt gemäß § 10 Absatz 3 BauGB mit dieser Bekanntmachung in Kraft.

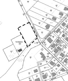
Die Gebietsabgrenzung ergibt sich aus der untenstehenden Orientierungsskizze (das Plangebiet ist durch eine dicke schwarze unterbrochene Linie dargestellt). Das Plangebiet umfasst Grundstücksflächen im Bereich der Straße „Isenburger Straße“ in Stromberg und hat eine Größe von ca. 2.600 qm.

Der Bebauungsplan „1. Änderung Bebauungsplan Freizeitzentrum Stromberg“ ist mit Begründung und textlichen Festsetzungen auf der Homepage der Stadt Bendorf unter:

https://www.bendorf.de/verwaltung-rat/bauleitplaene

(Startseite/Menü/Verwaltung&Rat/Bauleitpläne)

sowie über das zentrale Internetportal des Landes Rheinland-Pfalz unter www.geoportal.rlp.de einsehbar.

Ebenso wird der Bebauungsplan mit Planzeichnung, Begründung, Textlichen Festsetzungen und der dazu gehörenden Satzung bei der Stadtverwaltung Bendorf, Rathaus 2 (Stadtbauamt), Im Stadtpark 1, Zimmer 211, während der Dienststunden montags bis freitags von 8.30 Uhr bis 12.00 Uhr und montags bis donnerstags von 14.00 Uhr bis 16.00 Uhr zu jedermanns Einsicht bereitgehalten; über den Inhalt ist auf Verlangen Auskunft zu geben.

Hinweise:

Auf die Vorschriften des § 44 Abs. 3 Satz 1 und 2 sowie Abs. 4 BauGB über die Geltendmachung von Planungsentschädigungsansprüchen wird hingewiesen. Danach kann der Entschädigungsberechtigte eine Entschädigung verlangen, wenn die in den §§ 39 bis 42 BauGB bezeichneten Vermögensnachteile eingetreten sind. Er kann die Fälligkeit des Anspruches dadurch herbeiführen, dass er die Leistung der Entschädigung schriftlich bei dem Entschädigungspflichtigen beantragt. Ein Entschädigungsanspruch erlischt, wenn nicht innerhalb von drei Jahren nach Ablauf des Kalenderjahres, in dem die in § 44 Abs. 3 Satz 1 BauGB bezeichneten Vermögensnachteile eingetreten sind, die Fälligkeit herbeigeführt wird.

Gemäß § 215 Abs. 2 in Verbindung mit Abs. 1 BauGB wird auf die Voraussetzungen für die Geltendmachung der Verletzung von Vorschriften sowie auf die Rechtsfolgen hingewiesen.

Nach § 215 Abs. 1 BauGB werden unbeachtlich

1.

eine nach § 214 Abs. 1 Satz 1 Nr. 1 bis 3 BauGB beachtliche Verletzung der dort bezeichneten Verfahrens - und Formvorschriften,

2.

eine unter Berücksichtigung des § 214 Abs. 2 BauGB beachtliche Verletzung der Vorschriften über das Verhältnis des Bebauungsplanes und des Flächennutzungsplanes und

3.

nach § 214 Abs. 3 Satz 2 BauGB beachtliche Mängel des Abwägungsvorgangs,

wenn sie nicht innerhalb eines Jahres seit Bekanntmachung der Satzung schriftlich gegenüber der Stadt Bendorf unter Darlegung des die Verletzung begründenden Sachverhalts geltend gemacht worden sind. Der vorher stehende Satz gilt entsprechend, wenn Fehler nach § 214 Abs. 2 a beachtlich sind.

Gemäß § 24 Abs. 6 der Gemeindeordnung für Rheinland-Pfalz (GemO) vom 31.01.1994, GVBI. 1994 S. 153, in der jeweils gültigen Fassung, gelten Satzungen, die unter Verletzung von Verfahrens- oder Formvorschriften der GemO oder auf Grund der GemO zustande gekommen sind, ein Jahr nach der Bekanntmachung als von Anfang an gültig zustande gekommen. Dies gilt nicht, wenn

1.

die Bestimmungen über die Öffentlichkeit der Sitzung, die Genehmigung, die Ausfertigung oder die Bekanntmachung der Satzung verletzt worden sind,

oder

2.

vor Ablauf der in § 24 Abs. 6 Satz 1 GemO genannten Frist die Aufsichtsbehörde den Beschluss beanstandet oder jemand die Verletzung der Verfahrens- oder Formvorschriften gegenüber der Stadtverwaltung Bendorf/Rhein, Im Stadtpark 1 - 2, 56170 Bendorf, unter Bezeichnung des Sachverhaltes, der die Verletzung begründen soll, schriftlich geltend gemacht hat.

Hat jemand eine Verletzung nach § 24 Abs. 6 Satz 2 Nr. 2 GemO geltend gemacht, so kann auch nach Ablauf der in Satz 1 genannten Frist jedermann diese Verletzung geltend machen.

Bendorf/Rhein,23.12.2025
Stadtverwaltung Bendorf/Rhein
gez. Mohr
Bürgermeister

Anlagen:

Satzung zum Bebauungsplan „1. Änderung Bebauungsplan Freizeitzentrum Stromberg“

Geltungsbereich (Planskizze; unmaßstäblich)

Satzung

zum Bebauungsplan „1. Änderung Freizeitzentrum Stromberg“

Der Stadtrat der Stadt Bendorf hat auf Grund der in § 1 dieser Satzung genannten Rechtsgrundlagen in öffentlicher Sitzung am 17.09.2024 den Bebauungsplan „1. Änderung Freizeitzentrum Stromberg“ als Satzung beschlossen. Der Bebauungsplan wurde im vereinfachten Verfahren nach § 13 BauGB ohne Durchführung einer Umweltprüfung nach § 2 Abs. 4 BauGB nach dem Baugesetzbuch aufgestellt.

§ 1 Rechtsgrundlagen

Baugesetzbuch (BauGB) in der Fassung der Bekanntmachung vom 03. November 2017 (BGBl. I S.3634), letztgültige Fassung

Verordnung über die bauliche Nutzung der Grundstücke (Baunutzungsverordnung - BauNVO) in der Fassung der Bekanntmachung vom 21. November 2017 (BGBl. I S. 3786), letztgültige Fassung

Verordnung über die Ausarbeitung der Bauleitpläne und die Darstellung des Planinhalts (Planzeichenverordnung - PlanzV) vom 18. Dezember 1990 (BGBl. S. 58), letztgültige Fassung

Landesbauordnung Rheinland-Pfalz (LBauO) vom 24. November 1998 (GVBl. S. 365), letztgültige Fassung

Raumordnungsgesetzt (ROG) vom 22.12.2008 (BGBL. S. 2986), zuletzt geändert durch Gesetzt vom 22.03.2023 (BGBL. S. 023 I Nr. 88)

Landesgesetz zur nachhaltigen Entwicklung von Natur und Landschaft (Landesnaturschutzgesetz - LNatSchG) vom 06. Oktober 2015 (GVBl. S. 283), letztgültige Fassung

Gesetz über Naturschutz und Landschaftspflege (Bundesnaturschutzgesetz - BNatSchG) vom 29. Juli 2009 (BGBl. I S. 2542), letztgültige Fassung

Denkmalschutzgesetz (DSchG) vom 23. März 1978 (GVBl. S. 159), letztgültige Fassung

Gesetz zum Schutz vor schädlichen Umwelteinwirkungen durch Luftverunreinigungen, Geräusche, Erschütterungen und ähnliche Vorgänge (Bundes-Immissionsschutzgesetz - BImSchG) in der Fassung der Bekanntmachung vom 17.05.2013 (BGBl. I S. 1274), letztgültige Fassung

Gesetz zum Schutz vor schädlichen Bodenveränderungen und zur Sanierung von Altlasten (Bundes-Bodenschutzgesetz - BBodSchG) vom 17. März 1998 (BGBl. I S. 502), letztgültige Fassung

Bundes-Bodenschutz- und Altlastenverordnung vom 09.07.2021 (BGBL. I S. 2598.2716)

Landesbodenschutzgesetz (LBodSchG) vom 25.07.2005 (GVBL. S. 302), zuletzt geändert durch Gesetz vom 26.06.2020 (GVBL. S. 287)

Landeskreislaufwirtschaftsgesetz (LKrWG) vom 22. November 2013 (GVBl. S. 459), letztgültige Fassung

Gesetz über die Umweltverträglichkeitsprüfung (UVPG) in der Fassung der Bekanntmachung vom 18. März 2021 (BGBl. I S. 540), letztgültige Fassung

Bundesfernstraßengesetz (FStrG) in der Fassung der Bekanntmachung vom 28.Juni 2007 (BGBI. I S. 1206), letztgültige Fassung

Landesstraßengesetz (LStrG) vom 1. August 1977(GVBI. S. 273), letztgültige Fassung

Gesetz zur Ordnung des Wasserhaushalts (Wasserhaushaltsgesetz - WHG) vom 31.Juli 2009 (BGBl. I S. 2585), letztgültige Fassung

Wassergesetz für das Land Rheinland-Pfalz (Landeswassergesetz - LWG) in der Fassung der Bekanntmachung vom 14. Juli 2015 (GVBl. S.127), letztgültige Fassung

Gemeindeordnung (GemO) in der Fassung vom 31. Januar 1994 (GVBl. S. 153), letztgültige Fassung

Landesplanungsgesetz (LPlG) vom 10.04.2003 (GVBL: S. 41), zuletzt geändert durch Gesetz vom 06.10.2015 (GVBL. S. 283.295)

Landeswaldgesetzt (LWaldG) vom 30.11.2000 (GVBL. S 504), zuletzt geändert durch Gesetz vom 27.03.2020 (GVBL. S. 98)

Erneuerbare-Energien-Gesetz vom 21.07.2014 (BGBL. I S. 1066), zuletzt geändert durch Art. 1 G v. 05.02.2024 I Nr. 33

§ 2 Anlagen

Bestandteil der Satzung ist die Planzeichnung sowie die textlichen Festsetzungen. Gemäß § 9 (8) BauGB ist der Planzeichnung eine Begründung beigefügt.

§ 3 Räumlicher Geltungsbereich

Der Geltungsbereich liegt in der Gemarkung Bendorf. Die genaue Abgrenzung ergibt sich aus der Planzeichnung.

§ 4 Inkrafttreten

Der Bebauungsplan tritt gemäß § 10 (3) BauGB mit der öffentlichen Bekanntmachung in Kraft. Dieser Satzung entgegenstehende Festsetzungen treten gleichzeitig außer Kraft.

Bendorf/Rhein, den 18.12.2025
Stadtverwaltung Bendorf
Der Bürgermeister

Ausfertigung:

Es wird bescheinigt, dass die Planzeichnung mit den textlichen Festsetzungen und die Begründung Gegenstand des Planaufstellungsverfahrens waren, dass diese mit dem Willen des Stadtrates übereinstimmen und dass die für die Normgebung gesetzlich vorgeschriebenen Verfahrensvorschriften eingehalten wurden.

Bendorf/Rhein, den 15.12.2025
Stadtverwaltung Bendorf
Der Bürgermeister

Räumlicher Geltungsbereich des Bebauungsplanes „1. Änderung Freizeitzentrum Stromberg