Titel Logo
Kleeblatt - Amtliches Bekanntmachungsorgan der Stadt Bendorf
Ausgabe 30/2024
Aus dem Rathaus
Zurück zur vorigen Seite
Zurück zur ersten Seite der aktuellen Ausgabe

Bekanntmachung der Offenlage des Planentwurfs Bebauungsplan „1. Änderung Freizeitzentrum Stromberg“

gemäß § 3 Abs. 2 BauGB und der Beteiligung der Träger öffentlicher Belange nach § 4 Abs. 2 BauGB

Der Stadtrat der Stadt Bendorf hat in seiner Sitzung am 26.09.2023 die Aufstellung des Bebauungsplans „1. Änderung Freizeitzentrum Stromberg“ gemäß § 2 Abs. 1 Baugesetzbuch (BauGB) im vereinfachten Verfahren nach § 13 BauGB ohne Durchführung einer Umweltprüfung nach § 2 Abs. 4 BauGB beschlossen.

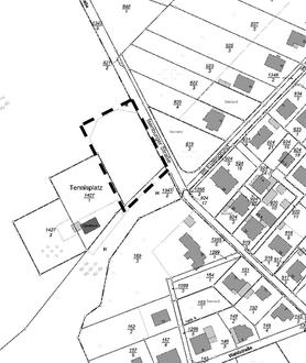
Abgrenzung:

Der Geltungsbereich des Bebauungsplanentwurfes ergibt sich aus der untenstehenden Orientierungsskizze (das Plangebiet der Bebauungsplanänderung ist durch eine dicke schwarze unterbrochene Linie dargestellt). Das Plangebiet umfasst Grundstücksflächen im Bereich der Straße „Isenburger Straße“ in Stromberg und hat eine Größe von ca. 2.600 qm.

Ziele und Zweck:

Planungsziel ist die Schaffung der planungsrechtlichen Zulässigkeitsvoraussetzungen für eine Unterbringung eines Tausalzsilos auf der vorgenannten Fläche

Für die Errichtung eines Tausalzsilos besteht aus Sicht der Stadt ein Bedarf für die Bereitstellung einer nutzer- und funktionsgerechten „Streugutlagerfläche“. Auf diese Weise kann die Stadt ihren Aufgaben im Bereich der öffentlichen Dienstleistungen und Daseinsvorsorge gerecht werden. Ein wesentlicher Grund für die Standortentscheidung für die Stadt ist die bereits vorhandene Nutzung und somit einer bereits anthropogen vorbelasteten Fläche.

Öffentlichkeitsbeteiligung:

In seiner Sitzung am 26.09.2023 hat der Stadtrat der Stadt Bendorf den Bebauungsplanentwurf „1. Änderung Freizeitzentrum Stromberg“ und seine Bestandteile und dessen öffentliche Auslegung gem. § 3 Abs. 2 BauGB beschlossen. Die Offenlage erfolgt in Form einer öffentlichen Auslegung der Planunterlagen (bestehend aus textlichem Bebauungsplan, Begründung und Geltungsbereichskarte) im Zeitraum von Montag, den 29.07.2024 bis einschließlich Freitag, den 30.08.2024. In dieser Zeit liegt die Planung, inklusive der v.g. Unterlagen, im Raum 214a, Rathaus II, Im Stadtpark 1-2, 56170 Bendorf zu jedermanns Einsicht bereit.

Die Unterlagen sind einzusehen:

Montag bis Freitag, von

8:30 Uhr - 12.00 Uhr und

Montag bis Donnerstag, von

14:00 Uhr - 15:30 Uhr.

Um unnötige Wege und lange Wartezeiten zu verhindern, empfehlen wir vorab telefonisch oder per E-Mail einen Termin zu vereinbaren (Tel.: 02622 / 703308, E-Mail: stefan.gross@bendorf.de).

In Anwendung des § 4a Abs. 4 BauGB sind der Inhalt der ortsüblichen Bekanntmachung nach § 3 Abs. 2 S. 2 und die nach § 3 Abs. 2 S. 1 BauGB auszulegenden Unterlagen zusätzlich in das Internet (Homepage der Stadt Bendorf) eingestellt.

Es besteht die Möglichkeit zur Teilnahme am elektronischen Beteiligungsverfahren. Auf der Startseite der Homepage der Stadt Bendorf - www.bendorf.de unter Verwaltung und Rat ={{gt}} Bauleitplanung (Bendorf: Offenlage von Bebauungsplänen der Stadtverwaltung Bendorf - www.bendorf.de/verwaltung-rat/bauleitpläne) - kann jedermann Einsicht in die vollständigen Planentwurfsunterlagen zum Verfahren nehmen, diese abrufen und sich auch auf elektronischem Wege unter oben genannter E-Mailadresse) zur Planung äußern. In begründeten Fällen können die Planunterlagen ebenfalls unter der oben genannten E-Mailadresse angefordert werden.

Hinweise, Anregungen oder Bedenken zum Entwurf können bis zum 30.08.2024 mündlich, schriftlich, zur Niederschrift oder auf elektronischem Weg bei der Stadt Bendorf (Fachbereich 4 - Stadtentwicklung, Bauen, Wirtschaft und Kultur) eingebracht werden.

Nicht fristgerecht abgegebene Stellungnahmen können bei der Beschlussfassung über den Bebauungsplan unberücksichtigt bleiben. Auch Kinder und Jugendliche sind dazu aufgerufen, sich zu der Planung zu äußern.

Bendorf/Rhein, 11.07.2024
Stadtverwaltung Bendorf/Rhein
gez. Mohr
Bürgermeister

Plangebietsabgrenzung