Titel Logo
Kleeblatt - Amtliches Bekanntmachungsorgan der Stadt Bendorf
Ausgabe 33/2022
Aus dem Rathaus
Zurück zur vorigen Seite
Zurück zur ersten Seite der aktuellen Ausgabe
-

Bekanntmachung

Plangebietsabgrenzung B-Plan „Bahnhofstraße/obere Rheinau“

des Aufstellungsbeschlusses für den Bebauungsplan „Bahnhofstraße/Obere Rheinau“ gemäß § 2 Abs. 1 BauGB und Frühzeitige Beteiligung der Öffentlichkeit und der Träger öffentlicher Belange gemäß § 3 Abs. 1 und § 4 Abs. 1 BauGB

Aufstellungsbeschluss:

Der Stadtrat der Stadt Bendorf hat in seiner Sitzung am 14.12.2021 die Aufstellung des Bebauungsplanes „Bahnhofstraße/Obere Rheinau“ gemäß § 2 (1) Baugesetzbuch (BauGB) im beschleunigten Verfahren gemäß § 13a Abs. 1 Satz 1 und Satz 2 Nr. 1 BauGB ohne Durchführung einer Umweltprüfung nach § 2 Abs. 4 BauGB beschlossen. Der Beschluss zur Aufstellung des Bebauungsplanes “Bahnhofstraße/Obere Rheinau” wird hiermit gemäß § 2 Abs. 1 S. 2 Baugesetzbuch (BauGB) ortsüblich bekannt gemacht.

Abgrenzung:

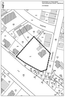
Der Geltungsbereich des Bebauungsplanentwurfes ergibt sich aus der unten stehenden Orientierungsskizze (das Plangebiet ist durch eine dicke, schwarze, unterbrochene Linie dargestellt). Das Plangebiet liegt an der Einmündung Obere Rheinau in die Bahnhofstraße und umfasst das Flurstück 451, Flur 23 in der Gemarkung Bendorf. Das Plangebiet hat eine Größe von ca. 2570 qm.

Ziele und Zweck:

Das Plangebiet ist derzeit überwiegend brachliegendes Gelände und befindet sich inmitten von Wohnbebauung. Das Plangebiet soll nun einer Wohnbebauung zugeführt werden, um die Lücke zwischen den bereits bestehenden Wohnbaugebieten zu schließen. Ein bereits auf dem Plangebiet vorhandenes Gebäude soll zurück gebaut werden. Planungsziel ist die Schaffung der planungsrechtlichen Voraussetzungen für die Entwicklung einer Wohnanlage mit ca. 30 Wohneinheiten. Die Nutzbarmachung der Fläche ist eine Maßnahme der Innenentwicklung.

Öffentlichkeitsbeteiligung:

In seiner Sitzung am 14.12.2021 hat der Stadtrat der Stadt Bendorf u. a. beschlossen, die frühzeitige Öffentlichkeitsbeteiligung und der Beteiligung der Träger öffentlicher Belange gemäß § 3 Abs. 1 und § 4 Abs. 1 Baugesetzbuch einzuleiten. Die Unterrichtung über die allgemeinen Ziele und Zwecke der Planung sowie ihre Auswirkungen erfolgt in Form einer öffentlichen Auslegung der Planunterlagen - bestehend aus Planzeichnung, Textfestsetzungen und Begründung - im Zeitraum von Montag, den 22.08.2022 bis einschließlich Montag, den 19.09.2022. In dieser Zeit liegt die Planung im Raum 214a, Rathaus II, Im Stadtpark 1-2, 56170 Bendorf zu jedermanns Einsicht bereit. Der Plan ist einzusehen:

Montag bis Freitag, von 8:30 Uhr - 11:30 Uhr und

Montag bis Donnerstag, von 14:00 Uhr - 15:30 Uhr.

Wir empfehlen vorab telefonisch oder per E-Mail Termine zu vereinbaren (Tel.: 02622 / 703308, E-Mail: stefan.gross@bendorf.de / tanja.bartz@bendorf.de), um unnötige Wege und lange Wartezeiten zu vermeiden.

Zusätzlich besteht die Möglichkeit zur Teilnahme am elektronischen Beteiligungsverfahren. Auf der Startseite der Homepage der Stadt Bendorf - www.bendorf.de unter Verwaltung und Rat => Bauleitplanung (Bendorf: Offenlage von Bebauungsplänen der Stadtverwaltung Bendorf - www.bendorf.de/verwaltung-rat/bauleitpläne) - kann jedermann Einsicht in die vollständigen Planentwurfsunterlagen zum Verfahren nehmen, diese abrufen und sich auch auf elektronischem Wege unter oben genannter E-Mailadresse) zur Planung äußern. In begründeten Fällen können die Planunterlagen ebenfalls unter der oben genannten E-Mailadresse angefordert werden.

Hinweise, Anregungen oder Bedenken zum Entwurf können bis zum 19.09.2022 mündlich, schriftlich, zur Niederschrift oder auf elektronischem Weg bei der Stadt Bendorf (Fachbereich 4 - Stadtentwicklung, Bauen, Wirtschaft und Kultur) eingebracht werden.

Nicht fristgerecht abgegebene Stellungnahmen können bei der Beschlussfassung über den Bebauungsplan unberücksichtigt bleiben. Auch Kinder und Jugendliche sind dazu aufgerufen, sich zu der Planung zu äußern.

Bendorf/Rhein,15.08.2022  — gez. Wiemer
Stadtverwaltung Bendorf/Rhein  — Erster Beigeordneter