Titel Logo
Kleeblatt - Amtliches Bekanntmachungsorgan der Stadt Bendorf
Ausgabe 41/2023
Aus dem Rathaus
Zurück zur vorigen Seite
Zurück zur ersten Seite der aktuellen Ausgabe

Bekanntmachung der Offenlage des Planentwurfs Bebauungsplan „Bahnhofstraße/Obere Rheinau“

gemäß § 3 Abs. 2 BauGB und der Beteiligung der Träger öffentlicher Belange nach § 4 Abs. 2 BauGB

Der Stadtrat der Stadt Bendorf hat in seiner Sitzung am 14.12.2021 die Aufstellung des Bebauungsplans „Bahnhofstraße/Obere Rheinau“ gemäß § 2 Abs. 1 Baugesetzbuch (BauGB) im beschleunigten Verfahren nach § 13a Abs. 1 Satz 1 und Satz 2 Nr. 1 BauGB ohne Durchführung einer Umweltprüfung nach § 2 Abs. 4 BauGB beschlossen.

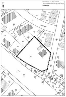
Abgrenzung:

Der Geltungsbereich des Bebauungsplanentwurfes ergibt sich aus der untenstehenden Orientierungsskizze (das Plangebiet des Bebauungsplans ist durch eine dicke schwarze unterbrochene Linie dargestellt). Das Plangebiet liegt an der Einmündung Obere Rheinau in die Bahnhofstraße und umfasst das Flurstück 451, Flur 23 in der Gemarkung Bendorf. Das Plangebiet hat eine Größe von ca. 2570 qm.

Ziele und Zweck:

Das Plangebiet ist derzeit überwiegend brachliegendes Gelände und befindet sich inmitten von Wohnbebauung. Das Plangebiet soll nun einer Wohnbebauung zugeführt werden, um die Lücke zwischen den bereits bestehenden Wohnbaugebieten zu schließen. Ein bereits auf dem Plangebiet vorhandenes Gebäude soll zurück gebaut werden. Planungsziel ist die Schaffung der planungsrechtlichen Voraussetzungen für die Entwicklung einer Wohnanlage mit ca. 30 Wohneinheiten. Die Nutzbarmachung der Fläche ist eine Maßnahme der Innenentwicklung.

Öffentlichkeitsbeteiligung:

In seiner Sitzung am 26.09.2023 hat der Stadtrat der Stadt Bendorf den Bebauungsplanentwurf „Bahnhofstraße /Obere Rheinau“ und seine Bestandteile und dessen öffentliche Auslegung gem. § 3 Abs. 2 BauGB beschlossen. Die Offenlage erfolgt in Form einer öffentlichen Auslegung der Planunterlagen (bestehend aus textlichem Bebauungsplan, Begründung, Geltungsbereichskarte, Artenschutzgutachten und Schalltechnische Immissionsprognose) im Zeitraum von Mittwoch, den 25.10.2023 bis einschließlich Montag, den 27.11.2023. In dieser Zeit liegt die Planung, inklusive der v.g. Unterlagen, im Raum 214a, Rathaus II, Im Stadtpark 1-2, 56170 Bendorf zu jedermanns Einsicht bereit.

Die Unterlagen sind einzusehen:

Montag bis Freitag, von 8:30 Uhr - 12:00 Uhr und

Montag bis Donnerstag, von 14:00 Uhr - 16:00 Uhr

Um unnötige Wege und lange Wartezeiten zu verhindern, empfehlen wir vorab telefonisch oder per E-Mail einen Termin zu vereinbaren (Tel.: 02622 / 703308, E-Mail: stefan.gross@bendorf.de).

Zusätzlich besteht die Möglichkeit zur Teilnahme am elektronischen Beteiligungsverfahren. Auf der Startseite der Homepage der Stadt Bendorf - www.bendorf.de unter Verwaltung und Rat => Bauleitplanung (Bendorf: Offenlage von Bebauungsplänen der Stadtverwaltung Bendorf - www.bendorf.de/verwaltung-rat/bauleitpläne) - kann jedermann Einsicht in die vollständigen Planentwurfsunterlagen zum Verfahren nehmen, diese abrufen und sich auch auf elektronischem Wege unter oben genannter E-Mailadresse) zur Planung äußern. In begründeten Fällen können die Planunterlagen ebenfalls unter der oben genannten E-Mailadresse angefordert werden.

Hinweise, Anregungen oder Bedenken zum Entwurf können bis zum 27.11.2023 mündlich, schriftlich, zur Niederschrift oder auf elektronischem Weg bei der Stadt Bendorf (Fachbereich 4 - Stadtentwicklung, Bauen, Wirtschaft und Kultur) eingebracht werden.

Nicht fristgerecht abgegebene Stellungnahmen können bei der Beschlussfassung über den Bebauungsplan unberücksichtigt bleiben. Auch Kinder und Jugendliche sind dazu aufgerufen, sich zu der Planung zu äußern.

Bendorf/Rhein, 09.10.2023
Stadtverwaltung Bendorf/Rhein
gez. Mohr, Bürgermeister

Plangebietsabgrenzung B-Plan „Bahnhofstraße/obere Rheinau“