Maifelder Nachrichten - Wochenzeitung der Verbandsgemeinde Maifeld
Ausgabe 29/2025
Öffentliche Bekanntmachungen
Zurück zur ersten Seite der aktuellen Ausgabe
Vorheriger Artikel: Neues Spiel- und Klettergerät in Ochtendung
Nächster Artikel: Sitzung des Rechnungsprüfungsausschusses der Ortsgemeinde Trimbs
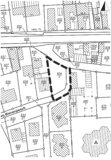
Bebauungsplan 1. Änderung „Im Bienenpesch/Hinter dem Graben“, Ortsgemeinde Ochtendung
Der Ortsgemeinderat von Ochtendung hat in der Sitzung am 18.06.2025 die 1. Änderung des Bebauungsplanes „Im Bienenpesch/Hinter dem Graben“ beschlossen.
Gegenstand der Planänderung ist die Darstellung einer Straßenverkehrs- und Parkplatzfläche.
Die Abgrenzung des Planänderungsgebietes ist aus nachfolgend abgedrucktem Plan ersichtlich.
Die Bekanntmachung ergeht auf der Grundlage des § 1 Abs. 8 i.V.m. § 2 Abs. 1 Baugesetzbuch.
56299 Ochtendung, 08.07.2025
Ortsgemeinde Ochtendung
Hans-Georg Hammes
Ortsbürgermeister