Titel Logo
Maifelder Nachrichten - Wochenzeitung der Verbandsgemeinde Maifeld
Ausgabe 31/2022
Öffentliche Bekanntmachungen
Zurück zur vorigen Seite
Zurück zur ersten Seite der aktuellen Ausgabe

Durchführung des Offenlegungsverfahrens gemäß § 3 Abs. 2 Baugesetzbuch (BauGB) zum Bebauungsplan 1. Änderung „Seibertspfad II“, Ortsgemeinde Ochtendung

Die 1. Änderung des Bebauungsplanes „Seibertspfad II“ wird gemäß Beschlussfassung des Ortsgemeinderates von Ochtendung vom 03.03.2022 im „beschleunigten Verfahren“ nach § 13 a BauGB durchgeführt.

Gemäß Beschlussfassung des Ortsgemeinderates vom 02.06.2022 wird nach § 13 a Abs. 2 Nr. 1 i. V. m. § 13 Abs. 2 Nr. 2 BauGB die Öffentlichkeitsbeteiligung gemäß § 3 Abs. 2 BauGB durchgeführt.

Die 1. Änderung des Bebauungsplanes erfolgt im beschleunigten Verfahren ohne Durchführung einer Umweltprüfung nach § 2 Abs. 4 BauGB (§ 13 a Abs. 3 Satz 1 Nr. 1 BauGB).

Der Entwurf des Bebauungsplanes 1. Änderung „Seibertspfad II“ der Ortsgemeinde Ochtendung liegt mit Satzungsentwurf, Text und Begründung in der Zeit vom

15.08.2022 bis einschl. 16.09.2022

bei der Verbandsgemeindeverwaltung Maifeld, Marktplatz 4-6, 56751 Polch, Zimmer 218, zu jedermanns Einsicht aus, und zwar jeweils montags bis donnerstags in der Zeit von 8:30 Uhr bis 12:30 Uhr und 14:00 Uhr bis 16:00 Uhr sowie freitags von 8:30 Uhr bis 13:00 Uhr.

Diese Bekanntmachung und die vorgenannten Unterlagen können auch für den o.g. Zeitraum im Internet auf der Homepage der Verbandsgemeinde Maifeld www.maifeld.de (>Leben & Infrastruktur >Bauen, Wohnen, Klimaschutz & Förderungen >Bauleitplanung >Bebauungsplan 1. Änderung „Seibertspfad II“, Ochtendung) eingesehen werden.

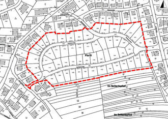
Der Geltungsbereich des Bebauungsplanes 1. Änderung „Seibertspfad II“ kann dem nachfolgenden Plan entnommen werden.

Hinweise:

  1. Während der Offenlage kann sich die Öffentlichkeit über die allgemeinen Ziele und Zwecke sowie die wesentlichen Auswirkungen der Planung unterrichten und Stellungnahmen zu dem Planentwurf abgegeben (§ 13 a Abs. 3 Satz 1 Nr. 2 BauGB).
  2. Gemäß § 3 Abs. 2 Satz 2 BauGB können nicht fristgerecht abgegebene Stellungnahmen unter den Voraussetzungen des § 4a Abs. 6 BauGB bei der Beschlussfassung über den Bebauungsplan unberücksichtigt bleiben.
56299 Ochtendung, 26.07.2022 — Lothar Kalter
Ortsgemeinde Ochtendung — Ortsbürgermeister