Titel Logo
Mitteilungsblatt Vordereifel - Heimat- u Bürgerzeitung der VG Vordereifel
Ausgabe 21/2024
Amtliche Bekanntmachungen
Zurück zur vorigen Seite
Zurück zur ersten Seite der aktuellen Ausgabe

Öffentliche Bekanntmachung

Öffentliche Auslegung des Bebauungsplanes für das Teilgebiet „Auf dem Hardberg“ 1. Erweiterung gemäß § 3 Abs. 2 BauGB

I. Auslegungsbeschluss

In der öffentlichen Sitzung am 07.05.2022 hat der Ortsgemeinderat von Baar die während der frühzeitigen Beteiligung der Öffentlichkeit sowie der Behörden und sonstigen Träger öffentlicher Belange eingegangenen Stellungnahmen abgewogen und die öffentliche Auslegung der modifizierten Planunterlagen beschlossen.

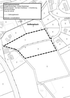
II. Geltungsbereich

Der vorgesehene Geltungsbereich des Bebauungsplanes liegt in der Gemarkung Baar, Flure 20 und 24. Er ist in der nachfolgend abgedruckten, unmaßstäblich verkleinerten Planzeichnung durch eine gestrichelte Linie umgrenzt.

Die Planzeichnung ist als Anlage Bestandteil dieser öffentlichen Bekanntmachung.

III. Auslegungsdauer

Die Entwurfsunterlagen des Bebauungsplanes „Auf dem Hardberg“ 1. Erweiterung – bestehend aus der Planurkunde, dem Satzungstext sowie der Begründung liegen in der Zeit vom

03.06. bis einschließlich 03.07.2024

bei der Verbandsgemeindeverwaltung Vordereifel, Kelbergerstr. 26, 56727 Mayen – Zimmer A209 - während der Öffnungszeiten (montags- donnerstags von 08:00 – 12:00 Uhr und von 14:00 – 16:00 Uhr, sowie freitags von 08:00 – 13:00 Uhr) zur Einsichtnahme öffentlich aus.

Zudem können die Unterlagen in diesem Zeitraum auch auf unserer Internetseite

https://vordereifel.de/verwaltung-und-rathaus/offenlage--downloads/bebauungsplaene/ortsgemeinde-baar/auf-dem-hardberg-1.-erweiterung sowie über das Geoportal des Landes Rheinland-Pfalz www.geoportal.rlp.de eingesehen werden.

Während der Offenlage können Stellungnahmen schriftlich oder während der Öffnungszeiten zur Niederschrift bei der Verbandsgemeindeverwaltung Vordereifel vorgebracht werden. Sie können ihre Stellungnahme auch an folgende Email-Adresse senden: j.gaeb@vordereifel.de.

Gemäß § 3 Abs. 2 S. 2 BauGB wird darauf hingewiesen, dass nicht fristgerecht abgegebene Stellungnahmen bei der Beschlussfassung über den o.a. Bauleitplan unberücksichtigt bleiben können.

Baar, 17.05.2024
- Siegel -
Augel, Ortsbürgermeister