Titel Logo
Mitteilungsblatt Vordereifel - Heimat- u Bürgerzeitung der VG Vordereifel
Ausgabe 24/2024
Amtliche Bekanntmachungen
Zurück zur vorigen Seite
Zurück zur ersten Seite der aktuellen Ausgabe

Öffentliche Bekanntmachung

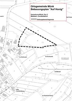
Bebauungsplan für das Teilgebiet „Auf Honig“

Frühzeitige Beteiligung der Öffentlichkeit

Der Ortsgemeinderat von Münk hat in der öffentlichen Sitzung am 13.12.2022 den Beschluss zur Aufstellung eines Bebauungsplanes für das Teilgebiet „Auf Honig“ gefasst, um das förmliche Aufstellungsverfahren in Gang zu setzen. Darüber hinaus wurde am 04.06.2024 der Entwurf anerkannt sowie die frühzeitige Beteiligung der Öffentlichkeit in Form einer öffentlichen Auslegung des Bebauungsplanentwurfes gemäß § 3 Abs. 1 BauGB beschlossen.

Geltungsbereich

Der vorgesehene Geltungsbereich des Bebauungsplanes liegt in der Gemarkung Münk, Flur 2. Er ist in der nachfolgenden Plankarte durch eine gestrichelte Linie umgrenzt (siehe Anlage).

Planungsziele

Ziel der Planung ist die Schaffung von Wohnbauland für junge Familien zur Deckung der örtlichen Baulandnachfrage im Rahmen der gemeindlichen Eigenentwicklung. Dabei ist die Ausweisung eines „Allgemeinen Wohngebietes (WA)“ vorgesehen.

Das Verfahren wird nach den Regelungen des § 215 a BauGB i.V.m. § 13 a BauGB geführt.

Auslegungsdauer

Der Vorentwurf des Bebauungsplanes (Planzeichnung, Textliche Festsetzungen und Begründung) liegt gemäß § 3 Abs. 1 BauGB in der Zeit

Ab sofort bis zum 15.07.2024

bei der Verbandsgemeindeverwaltung Vordereifel, 56727 Mayen, Kelberger Str. 26, Zimmer A209, während der Öffnungszeiten (montags - donnerstags von 08:00 – 12:00 Uhr und von 14:00 – 16:00 Uhr, sowie freitags von 08:00 – 13:00 Uhr) zu jedermanns Einsicht öffentlich aus. Zudem können Sie die Unterlagen in diesem Zeitraum auch unter www.vordereifel.de Rubrik „Verwaltung und Rathaus Þ Offenlage/Downloads Þ Bebauungspläne Þ Ortsgemeinde Münk Þ Auf Honig“ im Internet einsehen. Zusätzlich erfolgt eine Veröffentlichung im Geoportal des Landes Rheinland-Pfalz (www.geoportal.rlp.de).

Während dieser Auslegungsfrist kann Jeder zum Entwurf des Bebauungsplanes Stellung nehmen.

Stellungnahmen können schriftlich, mündlich zur Niederschrift oder per Email an: j.gaeb@vordereifel.de eingereicht werden. Rückfragen bei Einsichtnahme des Bebauungsplanes im Internet können gerne per Email oder telefonisch (02651/8009-36) erfolgen.

Es wird darauf hingewiesen, dass nicht fristgerecht abgegebene Stellungnahmen bei der Beschlussfassung über den Bebauungsplan unberücksichtigt bleiben können.

Hinweis zur Umweltverträglichkeitsprüfung:

Es wird ausdrücklich öffentlich bekannt gemacht, dass der Bebauungsplan im beschleunigten Verfahren nach § 215 a BauGB i.V.m. § 13 a und § 13 BauGB ohne Durchführung einer Umweltprüfung nach § 2 Abs. 4 BauGB aufgestellt wird.

Münk, den 07.06.2024
(Siegel)
Alfred Steffens
Ortsbürgermeister