Titel Logo
Mitteilungsblatt Vordereifel - Heimat- u Bürgerzeitung der VG Vordereifel
Ausgabe 40/2024
Amtliche Bekanntmachungen
Zurück zur vorigen Seite
Zurück zur ersten Seite der aktuellen Ausgabe

Ortsgemeinde Baar

über den Satzungsbeschluss sowie das Inkrafttreten des Bebauungsplanes für das Teilgebiet „Auf dem Hardberg“ 1. Erweiterung und über den Ort und die Zeit der Einsichtnahme des Bebauungsplanes gemäß § 10 Abs. 3 des Baugesetzbuches (BauGB) vom 03.11.2017 (BGBl. I S. 3634), in der derzeit geltenden Fassung

I. Satzungsbeschluss

Der Ortsgemeinderat von Baar hat in öffentlicher Sitzung am 18.09.2024 den Bebauungsplan für das Teilgebiet „Auf dem Hardberg“ 1. Erweiterung gemäß § 10 Abs. 1 BauGB als Satzung beschlossen.

II. Geltungsbereich

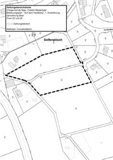
Der räumliche Geltungsbereich des Bebauungsplanes liegt in der Gemarkung Baar, Flure 20 und 24.

Der Geltungsbereich ist in dem nachstehend abgedruckten unmaßstäblich verkleinerten Übersichtsplan, der Bestandteil dieser öffentlichen Bekanntmachung ist, durch eine gestrichelte Linie umgrenzt.

III. Auslegung

Der Bebauungsplan für das Teilgebiet „Auf dem Hardberg“ 1. Erweiterung (Satzung, Planzeichnung und Textfestsetzungen) einschließlich der Begründung liegt ab dem Tage dieser Bekanntmachung bei der Verbandsgemeindeverwaltung Vordereifel, Kelberger Straße 26, 56727 Mayen - Fachbereich 4, Zimmer A209 - während der Dienststunden (montags bis donnerstags von 8.00 Uhr bis 12.00 Uhr und von 14.00 Uhr bis 16.00 Uhr sowie freitags von 8.00 Uhr bis 13.00 Uhr) zur Einsichtnahme aus.

Jeder kann über den Inhalt der Planung Auskunft verlangen.

IV. Inkrafttreten

Gemäß § 10 Abs. 3 BauGB tritt der Bebauungsplan mit dieser Bekanntmachung in Kraft.

V. Fälligkeit und Erlöschen von Entschädigungsansprüchen

Auf die Vorschriften des § 44 Abs. 3 Satz 1 und 2 sowie Abs. 4 BauGB wird hingewiesen.

Hiernach können Entschädigungsberechtigte Entschädigung verlangen, wenn die in den §§ 39 - 42 BauGB bezeichneten Vermögensnachteile eingetreten sind.

Die Fälligkeit des Anspruches kann dadurch herbeigeführt werden, dass die Leistung der Entschädigung schriftlich bei dem Entschädigungspflichtigen beantragt wird.

Ein Entschädigungsanspruch erlischt, wenn nicht innerhalb von drei Jahren nach Ablauf des Kalenderjahres, in dem die in § 44 Abs. 3 Satz 1 BauGB bezeichneten Vermögensnachteile eingetreten sind, die Fälligkeit des Anspruches herbeigeführt wird.

VI. Frist für die Geltendmachung der Verletzung von Verfahrens- und Formvorschriften sowie von Mängeln der Abwägung

Gemäß § 215 Abs. 1 Satz 1 BauGB vom 23.09.2017 (BGBl. I S. 3634) in der derzeit geltenden Fassung wird darauf hingewiesen, dass

1.

eine nach § 214 Abs. 1 Satz 1 Nr. 1 bis 3 BauGB beachtliche Verletzung der dort bezeichneten Verfahrens- und Formvorschriften,

2.

eine unter Berücksichtigung des § 214 Abs. 2 BauGB beachtliche Verletzung der Vorschriften über das Verhältnis des Bebauungsplanes und des Flächennutzungsplanes und

3.

nach § 214 Abs. 3 Satz 2 BauGB beachtliche Mängel des Abwägungsvorganges

unbeachtlich werden, wenn sie nicht innerhalb eines Jahres seit dieser Bekanntmachung schriftlich gegenüber der Ortsgemeinde Baar unter Darlegung des die Verletzung begründenden Sachverhalts geltend gemacht worden sind. § 215 Abs. 1, Satz 1 BauGB gilt entsprechend, wenn Fehler nach § 214 Abs. 2a BauGB beachtlich sind.

Es wird darauf hingewiesen, dass gemäß § 24 Abs. 6 der Gemeindeordnung (GemO) für Rheinland-Pfalz vom 31.01.1994 (GVBl. S. 153) in der derzeit geltenden Fassung, Satzungen, die unter Verletzung von Verfahrens- oder Formvorschriften der Gemeindeordnung oder aufgrund dieses Gesetzes zustande gekommen sind, ein Jahr nach der Bekanntmachung als von Anfang an gültig zustande gekommen gelten.

Dies gilt nicht, wenn

1. die Bestimmungen über die Öffentlichkeit der Sitzung, die Genehmigung, die Ausfertigung oder die Bekanntmachung der Satzung verletzt worden sind oder

2. vor Ablauf der in Satz 1 genannten Frist die Aufsichtsbehörde den Beschluss beanstandet oder jemand die Verletzung der Verfahrens- oder Formvorschriften gegenüber der Verbandsgemeinde Vordereifel, Kelberger Str. 26, 56727 Mayen, unter Bezeichnung des Sachverhaltes, der die Verletzung begründen soll, schriftlich geltend gemacht hat.

Hat jemand eine Verletzung nach vorstehender Ziffer 2 geltend gemacht, so kann auch nach Ablauf der in Satz 1 genannten Frist jedermann diese Verletzung geltend machen.

Baar, 27.09.2024
- Siegel -
Erwin Augel, Ortsbürgermeister