Titel Logo
Mitteilungsblatt Vordereifel - Heimat- u Bürgerzeitung der VG Vordereifel
Ausgabe 5/2024
Amtliche Bekanntmachungen
Zurück zur vorigen Seite
Zurück zur ersten Seite der aktuellen Ausgabe

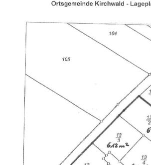
Bauplätze Neubaugebiet „Hinterm Dorf-1. Erweiterung“

Die Schaffung von weiterem Bauland ist ein kontinuierliches Ziel der Ortsgemeinde Kirchwald, um vor allem jüngeren Familien eine Heimat bieten zu können.

Aus diesem Grund wurde das Neubaugebiet "Hinterm Dorf-1. Erweiterung" mit insgesamt zehn Bauplätzen ausgewiesen.

Der räumliche Geltungsbereich des Baugebietes sowie die einzelnen Baugrundstücke können dem beigefügten Lageplan entnommen werden.

Der Ortsgemeinderat Kirchwald hat den Verkaufspreis auf 80,00 €/m² festgelegt.

Im Verkaufspreis sind die Erschließungskosten enthalten.

Auf den Baugrundstücken ruht eine Bauverpflichtung dahingehend, dass auf dem erworbenen Grundbesitz innerhalb von sechs Jahren, vom Tage der Beurkundung an gerechnet, ein bezugsfertiges Wohnhaus, entsprechend den Festsetzungen des Bebauungsplanes, fertig zu stellen ist.

Kaufinteressenten können, ab Samstag, 03.02.2024, ihr Interesse per E-Mail unter gemeinde@kirchwald.de bekunden.

Im Anschluss werde ich mich mit den Kaufinteressenten in Verbindung setzen, um in einem persönlichen Gespräch die Details zu besprechen. Auf Wunsch kann ein Vor-Ort-Termin vereinbart werden.

Armin Seiwert, Ortsbürgermeister