Titel Logo
Heimat-Echo - Heimat- und Bürgerzeitung Verbandsgemeinde Vallendar
Ausgabe 39/2025
Aus dem Rathaus
Zurück zur vorigen Seite
Zurück zur ersten Seite der aktuellen Ausgabe

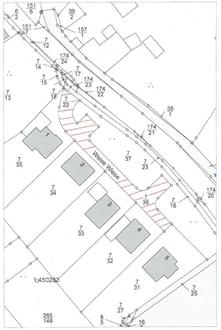
Widmung von öffentlichen Verkehrsflächen

gemäß § 36 Landesstraßengesetz der Ortsgemeinde Urbar

Der Ortsgemeinderat Urbar hat in seiner Sitzung am 10.09.2025 die förmliche Widmung der nachfolgend aufgeführten Verkehrsfläche beschlossen.

Der Beschluss lautet wie folgt:

Der Ortsgemeinderat Urbar beschließt nach § 36 des Landestraßengesetzes (LStrG) von Rheinland- Pfalz vom 01.08.1977 (GVBI. S. 273) in der derzeit gültigen Fassung in der Gemarkung Urbar die nachfolgende Verkehrsfläche gemäß § 3 Ziffer 3 a LStrG als Gemeindestraße zu widmen.

Als Tag der Verkehrsübergabe gilt der Tag der öffentlichen Bekanntmachung.

Bestandteil dieser Widmungsverfügung ist ein Lageplan, auf dem die gewidmete Gemeindestraße grob schraffiert dargestellt ist. Die Widmungsverfügung mit Lageplan kann innerhalb der Rechtsbehelfsfrist im Zimmer 202 der Verbandsgemeindeverwaltung Vallendar, Rathausplatz 13, 56179 Vallendar, während der Dienststunden eingesehen werden.

Gegen die Widmung der vorstehenden Gemeindestraße ist der Widerspruch zulässig. Der Widerspruch ist innerhalb eines Monats nach Bekanntgabe bei der Verbandsgemeindeverwaltung Vallendar, Rathausplatz 13, 56179 Vallendar, oder bei der Kreisverwaltung Mayen-Koblenz, Bahnhofstraße 9, 56068 Koblenz, schriftlich oder zur Niederschrift einzulegen. Die elektronische Form wird durch eine qualifiziert signierte Datei gewährt, die nach den Maßgaben der Landesverordnung über den elektronischen Rechtsverkehr in Rheinland-Pfalz (ERVLVO) vom 10.07.2015 (GVBI. S. 175) in der jeweils geltenden Fassung zu übermitteln ist. Bei schriftlicher Einlegung des Widerspruchs ist die Widerspruchsfrist nur gewahrt, wenn der Widerspruch noch vor Ablauf dieser Frist eingegangen ist.

56182 Urbar, 18.09.2025
Ortsgemeinde Urbar
Christoph Ackermann
Ortsbürgermeister Urbar