Titel Logo
Hunsrück-Mittelrhein Nachrichten Ausgabe Emmelshausen
Ausgabe 10/2025
Amtlicher Teil
Zurück zur vorigen Seite
Zurück zur ersten Seite der aktuellen Ausgabe

2. Änderung des Bebauungsplans „Hinter dem Agrarhistorischen Museum“; Stadt Emmelshausen

Bekanntmachung Aufstellungsbeschluss und Beteiligung der Öffentlichkeit gemäß § 3 Absatz 2 Baugesetzbuch (BauGB)

1. Bekanntgabe des Aufstellungsbeschlusses (§ 2 Abs. 1 BauGB)

Der Stadtrat der Stadt Emmelshausen hat in seiner Sitzung am 24.02.2025 den nachstehenden Beschluss gefasst, der gemäß § 2 Abs. 1 Baugesetzbuch (BauGB) hiermit bekannt gegeben wird:

Der Stadtrat fasst den Aufstellungsbeschluss zur 2. Änderung des Bebauungsplanes „Hinter dem Agrarhistorischen Museum“ nach § 13 Abs. 1 i.V.m. § 2 Abs. 1 Baugesetzbuch (BauGB).

Weiterhin stimmt der Stadtrat Emmelshausen den beigefügten Planunterlagen (Planzeichnung, Textfestsetzungen und Begründung) zu. Der Stadtrat beschließt die Beteiligungsverfahren gemäß 3 Abs. 2, § 4 Abs. 2 und § 2 Abs. 2 BauGB durchzuführen und beauftragt die Verwaltung mit der Durchführung der entsprechenden Verfahren.

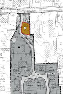
Der Geltungsbereich der 2. Änderung des Bebauungsplans „Hinter dem Agrarhistorischen Museum“ umfasst in der Gemarkung Emmelshausen folgende Flurstücke:

Flur 12, Flurstück 175/23

Das Plangebiet ist zur Verdeutlichung in dem nachstehenden Kartenausschnitt dargestellt:

Inhalt dieser Bebauungsplanänderung ist die Art der baulichen Nutzung. Bisher wurde dort eine Gemeinbedarfsfläche festgesetzt, nunmehr wird es ein Mischgebiet. Außerdem wird das Maß der baulichen Nutzung für das Mischgebiet auf 2 Vollgeschosse begrenzt. Die Grundflächenzahl wird auf 0,6 und die Geschossflächenzahl auf 1,2 festgesetzt.

Ansonsten gelten die zeichnerischen und textlichen Festsetzungen des Bebauungsplanes in der Fassung vor der 2. Änderung grundsätzlich unverändert fort.

2. Offenlage und Beteiligung der Träger öffentlicher Belange (§ 13 Abs. 2 i. V. m. § 3 Abs. 2 BauGB)

Das Bebauungsplanverfahren wird gemäß § 13 BauGB im sog. Vereinfachten Verfahren durchgeführt. In diesem Verfahren kann auf die zweiteilige Behörden - und Öffentlichkeitsbeteiligung verzichtet werden. Auch sind bei diesem Verfahren u.a. eine Umweltprüfung, ein Umweltbericht und die Abarbeitung der Eingriffs-/Ausgleichsbilanzierung entbehrlich.

Gemäß des Stadtratsbeschlusses vom 24.02.2025 liegen nach § 3 Abs. 2 BauGB der Entwurf der 2. Bebauungsplanänderung „Hinter dem Agrarhistorischen Museum“ (Planzeichnung, Begründung und Textfestsetzungen) in der Zeit vom 10.03.2025 bis 11.04.2025 bei der Verbandsgemeindeverwaltung Hunsrück-Mittelrhein, Fachbereich 3 - Natürliche Lebensgrundlagen und Bauen, Henchenstraße 12-14 (Hochhaus) 56281 Emmelshausen, Zimmer 2 in der Zeit von Montag bis Freitag von 08:30 Uhr bis 12:15 Uhr Montag bis Mittwoch von 13:45 Uhr bis 16:00 Uhr (nach vorheriger Terminvereinbarung) sowie donnerstags von 13.45 Uhr bis 18.00 zur Einsicht öffentlich aus.

Während dieser Auslegungsfrist können Stellungnahmen zu dieser Bauleitplanung der Stadt Emmelshausen bei der Verbandsgemeindeverwaltung Hunsrück-Mittelrhein, Rathausstraße 1, 56281 Emmelshausen, abgegeben werden.

Es wird darauf hingewiesen, dass nicht fristgerecht abgegebene Stellungnahmen bei der Beschlussfassung über den Bebauungsplan unter den Voraussetzungen der §§ 3 Abs. 2, Satz 2, 2. Halbsatz und 4 a Abs. 6 BauGB unberücksichtigt bleiben können, sofern die Stadt Emmelshausen deren Inhalt nicht kannte und nicht hätte kennen müssen und deren Inhalt für die Rechtmäßigkeit des Bauleitplanes nicht von Bedeutung ist.

Die Unterlagen können Sie auch im Internet unter

https://www.hunsrueckmittelrhein.de/rathaus/bauleitplanung/

aufrufen.

Außerdem stehen die Unterlagen auf dem Geoportal Rheinland-Pfalz unter der Adresse: www.geoportal.rlp.de (Offenlagen gemäß BauGB) zur Verfügung.

Emmelshausen, 28.02.2025 — Volker Bernd,
Stadt Emmelshausen — Stadtbürgermeister