Titel Logo
Hunsrück-Mittelrhein Nachrichten Ausgabe Emmelshausen
Ausgabe 9/2026
Amtlicher Teil
Zurück zur vorigen Seite
Zurück zur ersten Seite der aktuellen Ausgabe

Beteiligung der Öffentlichkeit gemäß § 3 Absatz 2 Baugesetzbuch (BauGB)

Der Ortsgemeinderat der Ortsgemeinde Laudert hat in seiner Sitzung am 09.02.2026 den nachstehenden Beschluss gefasst, der gemäß § 2 Abs. 1 Baugesetzbuch (BauGB) hiermit bekannt gemacht wird:

Der Ortsgemeinderat Laudert beschließt, das Verfahren zum Erlass einer Ergänzungssatzung gemäß § 34 Abs. 4 Satz 1 Nr. 3 BauGB einzuleiten. Das Verfahren wird unter der Bezeichnung „Ergänzungssatzung Oberweg“ betrieben.

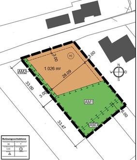
Der vorgesehene Geltungsbereich umfasst die Flächen in der Gemarkung Laudert, Flur 9, Flurstücke 47/4 und 47/7.

Ziel des Verfahrens ist, die planungsrechtliche Sicherung von Wohn- und Bauflächen im Sinne einer nachhaltigen städtebaulichen Entwicklung sowohl unter Berücksichtigung der angrenzenden bestehenden Bebauung und Nutzung als auch einer harmonischen Eingliederung in den Landschaftsraum.

Mit dieser Satzung soll die Einbeziehung der Außenbereichsflächen Flur 9, Flurstücke Nrn. 47/7 und 47/7 in den Innenbereich festgelegt werden.

Das Satzungsgebiet ist zur Verdeutlichung in den nachstehenden Übersichten dargestellt.

Die Aufstellung der Ergänzungssatzung wird im vereinfachten Verfahren nach § 13 Baugesetzbuch (BauGB) durchgeführt. Gemäß § 13 Baugesetzbuch (BauGB) ist eine Umweltprüfung nach § 2 Abs. 4 Baugesetzbuch (BauGB), der Umweltbericht gemäß § 2a Baugesetzbuch (BauGB) und die Angaben zu umweltbezogenen Informationen nach § 3 Abs. 2 S. 2 Baugesetzbuch (BauGB) entbehrlich; § 4 c Baugesetzbuch (BauGB) ist nicht anzuwenden. Im Rahmen der Beteiligung der Öffentlichkeit gemäß § 13 Abs. 2 Nr. 2 Baugesetzbuch (BauGB) wird darauf hingewiesen, dass gemäß § 13 Abs. 3 BauGB von einer Umweltprüfung für das vorliegende Satzungsverfahren abgesehen wurde.

Gemäß Ortsgemeinderatsbeschluss vom 09.02.2026 liegen gemäß § 3 Abs. 2 BauGB der Entwurf der Ergänzungssatzung für den Bereich „Oberweg“ (Planzeichnung mit Zeichenerklärung und Textfestsetzungen, Begründung, Fachbeitrag Naturschutz, Bestandsplan) in der Zeit vom 02.03.2026 bis 07.04.2026 bei der Verbandsgemeindeverwaltung Hunsrück-Mittelrhein, Fachbereich 3 – Natürliche Lebensgrundlagen und Bauen, Henchenstraße 12-14 (Hochhaus) 56281 Emmelshausen, Zimmer 2 in der Zeit von Montag bis Freitag von 08:30 Uhr bis 12:15 Uhr Montag bis Mittwoch von 13:45 Uhr bis 16:00 Uhr (nach vorheriger Terminvereinbarung) sowie donnerstags von 13.45 Uhr bis 18.00 zur Einsicht öffentlich aus.

Während dieser Auslegungsfrist können Stellungnahmen zu dieser Ergänzungssatzungsplanung der Ortsgemeinde Laudert bei der Verbandsgemeindeverwaltung Hunsrück-Mittelrhein, Rathausstraße 1, 56281 Emmelshausen, abgegeben werden.

Es wird darauf hingewiesen, dass nicht fristgerecht abgegebene Stellungnahmen bei der Beschlussfassung über den Bebauungsplan unter den Voraussetzungen der §§ 3 Abs. 2, Satz 2, 2. Halbsatz und 4 a Abs. 6 BauGB unberücksichtigt bleiben können, sofern die Ortsgemeinde Laudert deren Inhalt nicht kannte und nicht hätte kennen müssen und deren Inhalt für die Rechtmäßigkeit der Ergänzungssatzung nicht von Bedeutung ist.

Die Unterlagen können Sie auch im Internet unter

https://www.hunsrueckmittelrhein.de/rathaus/bauleitplanung

aufrufen.

Auch stehen die Unterlagen auf dem Geoportal Rheinland-Pfalz unter der Adresse: www.geoportal.rlp.de (Offenlagen gem. BauGB) zur Verfügung.

Stellungnahmen können während der vorgenannten Frist elektronisch an bauleitplanung@vg-hm.de übermittelt werden oder bei Bedarf auch auf anderem Wege z.B. schriftlich oder zur Niederschrift bei der Verbandsgemeindeverwaltung Hunsrück-Mittelrhein, Rathausstraße 1, 56281 Emmelshausen, vorgebracht werden.

Die Verarbeitung personenbezogener Daten erfolgt auf der Grundlage der Art. 6 Abs. 1 Buchstabe e DSGVO i.V.m. § 3 BauGB.

Des Weiteren wird darauf hingewiesen, dass die zum Ergänzungssatzungsverfahren abgegebenen Stellungnahmen in öffentlicher Sitzung beraten werden und somit ggfs. personenbezogene Daten soweit diese für das Ergänzungssatzungsverfahren erforderlich sind, dem Ortsgemeinderat und mithin der Öffentlichkeit zur Verfügung gestellt werden.

Laudert, 20.02.2026 — Winfried Erbes, Ortsbürgermeister