Titel Logo
Mitteilungen der Verbandsgemeinde Kirchberg Hunsrück
Ausgabe 46/2022
Amtliche Bekanntmachungen
Zurück zur vorigen Seite
Zurück zur ersten Seite der aktuellen Ausgabe

Widmungsverfügung

Der Stadtrat der Stadt Kirchberg hat in seiner Sitzung am 30.08.2022 beschlossen, dass die nachfolgenden Straßen gemäß § 36 Landesstraßengesetz Rheinland-Pfalz (LStrG) in der Fassung vom 01.08.1977 (GVBl. S. 273), zuletzt geändert durch Artikel 2 des Gesetzes vom 28.09.2021 (GVBl. S. 543) wie folgt dem öffentlichen Verkehr gewidmet werden:

1.

Oststraße

Flur 43

Flurstück 84/22 und

Flur 45

Flurstück 34/11

2.

Emil-Thomas-Straße

Flur 43

Flurstück 97/5

3.

Osterbahnstraße

Flur 44

Flurstück 47/9

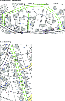
4.

Römerbrunnen

Flur 44

Flurstück 48/5

5.

Am Breiten Weg

Flur 46

Flurstück 80/4

6.

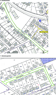
Sandkuhlstraße

Flur 46

Flurstück 75/1

7.

Ahornweg Flur

46

Flurstück 3/6

8.

Hindenburgstraße

Flur 49

Flurstück 105/2

9.

Beller Roul

Flur 52

Flurstück 78/6 tlw.

(bis Ende Flur 52 Flurstück 42/3)

10.

Koppensteiner Weg

Flur 52

Flurstück 79/5

11.

Raiffeisenstraße

Flur 53

Flurstück 61/4

12.

Nanny-Lambrecht-Straße

Flur 53

Flurstück 58

13.

In der Acht

Flur 53

Flurstück 59

14.

Gartenstraße

Flur 42

Flurstück 87/5 tlw.

15.

Schulstraße

Flur 42

Flurstück 92/12

als Gemeindestraßen und sonstige Straßen im Sinne des § 3 Nr. 3a des Landesstraßengesetzes (LStrG) dem öffentlichen Verkehr zu widmen.

Die zu widmende Verkehrsfläche ist auf der als Anlage beigefügten Karte farblich gekennzeichnet.

Anordnung der sofortigen Vollziehung gemäß § 80 Abs. 2 Nr. 4 der Verwaltungsgerichtsordnung (VwGO)

Die Erschließungsstraßen werden in ihrer Eigenschaft als Straßenverkehrsfläche genutzt. Nach der Erschließung dieser Straße und der nunmehr erfolgten formellen Widmung besteht ein öffentliches Interesse daran, diese Straßenverkehrsfläche unverzüglich dem Gemeingebrauch, insbesondere aber den Anliegern, zur Verfügung zu stellen. Daher wird die sofortige Vollziehung der Widmungsverfügung hiermit angeordnet.

Rechtsbehelfsbelehrung:

Gegen diese Verfügung kann innerhalb eines Monats nach Bekanntgabe bei der Verbandsgemeindeverwaltung Kirchberg, Marktplatz 5, 55481 Kirchberg, schriftlich oder zur Niederschrift

Widerspruch erhoben werden. Bei schriftlicher Erhebung des Widerspruchs ist die Widerspruchsfrist (Satz 1) nur gewahrt, wenn der Widerspruch noch vor Ablauf dieser Frist bei der Behörde eingegangen ist.

Diese Verfügung ergeht im Namen und im Auftrag der Stadt Kirchberg

Hinweis zur Bekanntgabe:

Gemäß § 41 Abs. 4 Satz 4 des Verwaltungsverfahrensgesetzes (VwVfG) gilt die Widmungsverfügung mit dem auf die Bekanntmachung folgenden Tag als bekanntgegeben.

55481 Kirchberg, den 10.11.2022 — gez. Rosenbaum (Siegel)
Verbandsgemeindeverwaltung  — (Harald Rosenbaum)
Kirchberg (Hunsrück) — Bürgermeister