Titel Logo
Mitteilungsblatt für die Verbandsgemeinde Nahe-Glan
Ausgabe 35/2025
Bad Sobernheim
Zurück zur vorigen Seite
Zurück zur ersten Seite der aktuellen Ausgabe

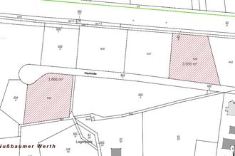
Verkauf von städtischen Flächen im Industrie- und Gewerbegebiet „Am Brückelchen- Auf Haulenmühl“

Die Stadt Bad Sobernheim verfügt im Industrie- und Gewerbegebiet „Am Brückelchen – Auf Haulenmühl“ über folgende Grundstücke:

  • Gemarkung Sobernheim, Flur 10, Nr. 638  —  3.930 m²
  • Gemarkung Sobernheim, Flur 10, Nr. 640  —  3.866 m²

Die Gewerbeflächen werden zum Kaufpreis von 70,00 EUR/m² (erschlossen) mit einer Bauverpflichtung innerhalb von fünf Jahren ab Vertragsunterzeichnung veräußert.

Bei Interesse oder für weitere Informationen wenden Sie sich bitte direkt an die

Stadt Bad Sobernheim

Marktplatz 11, 55566 Bad Sobernheim

stadtbuergermeister@bad-sobernheim.de

oder an

Verbandsgemeinde Nahe-Glan

Fachbereich 3 – Natürliche Lebensgrundlagen und Bauen

Frau Jutta Tratzky, Tel.: 06751/81 3000

jutta.tratzky@vg-nahe-glan.de