Titel Logo
Mitteilungsblatt für den Bereich der Verbandsgemeinde Kirner Land
Ausgabe 7/2023
Mitteilungen der Ortsgemeinden
Zurück zur vorigen Seite
Zurück zur ersten Seite der aktuellen Ausgabe

Öffentliche Bekanntmachung

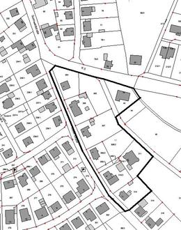
Inkrafttreten der 6. Änderung des Bebauungsplanes für das Teilgebiet „Auf der Hahneck-Hinter Quellwiese“, Flur 2 vom 15.07.1989

Der Ortsgemeinderat hat aufgrund des § 24 der Gemeindeordnung (GemO) die folgende Satzung beschlossen, die hiermit bekanntgemacht wird:

Nach § 24 Abs. 6 GemO gilt hierzu folgendes:

Satzungen, die unter Verletzung von Verfahrens- oder Formvorschriften dieses Gesetzes oder aufgrund dieses Gesetzes zustande gekommen sind, gelten ein Jahr nach der Bekanntmachung als von Anfang an gültig zustande gekommen. Dies gilt nicht, wenn

1.

die Bestimmungen über die Öffentlichkeit der Sitzung, die Genehmigung, die Ausfertigung oder die Bekanntmachung der Satzung verletzt worden sind, oder

2.

vor Ablauf der in Satz 1 genannten Frist die Aufsichtsbehörde den Beschluss beanstandet oder jemand die Verletzung der Verfahrens- oder Formvorschriften gegenüber der Gemeindeverwaltung unter Bezeichnung des Sachverhaltes, der die Verletzung begründen soll, schriftlich geltend gemacht hat.

Hat jemand eine Verletzung nach Satz 2 Nr. 2 geltend gemacht, so kann auch nach Ablauf der in Satz 1 genannten Frist jedermann diese Verletzung geltend machen.

Aufgrund des § 2 Abs. 1 Satz 1 und der §§ 9 und 10 des Baugesetzbuches (BauGB) i.d.F. der Bekanntmachung vom 23.09.2004 (BGBl. I S. 2414), zuletzt geändert durch Art. 2 Gesetz vom 08.08.2020 (BGBl. I S. 1728), und des § 88 der Landesbauordnung (LBauO) für Rheinland - Pfalz vom 24.11.1998 (GVBl. S. 365), in der derzeit geltenden Fassung, sowie des § 24 Gemeindeordnung für Rheinland - Pfalz vom 31.01.1994 (GVBl. S. 153) , in der derzeit geltenden Fassung, hat der Rat der Ortsgemeinde Oberhausen in seiner Sitzung am 06.02.2022 die Bebauungsplanänderung für das Teilgebiet "Auf der Hahneck-Hinter Quellwies“, Flur 2 vom 15.07.1989, als Satzung beschlossen.

Die Satzung über die Bebauungsplanänderung tritt mit dieser Bekanntmachung nach § 10 Abs. 3 BauGB in Kraft.

Unbeachtlich werden nach § 215 BauGB
1. eine nach § 214 Abs. 1 Satz 1 Nr. 1 bis 3 BauGB beachtliche Verletzung der dort bezeichneten Verfahrens- und Formvorschriften,
2. eine unter Berücksichtigung des § 214 Abs. 2 BauGB beachtliche Verletzung der Vorschriften über das Verhältnis des Bebauungsplanes- und des Flächennutzungsplans und
3. nach § 214 Abs. 3 Satz 2 BauGB beachtliche Mängel des Abwägungsvorgangs,
wenn sie nicht innerhalb eines Jahres seit Bekanntmachung der Satzung schriftlich gegenüber der Gemeinde unter Darlegung des die Verletzung begründenden Sachverhalts geltend gemacht worden sind.
Auf die Vorschriften des § 44 Abs. 3 Satz 1 und 2 sowie Abs. 4 BauGB über die fristgemäße Geltendmachung etwaiger Entschädigungsansprüche für Eingriffe in eine bisher zulässige Nutzung durch diesen Bebauungsplan und über das Erlöschen von Entschädigungs-ansprüchen wird hingewiesen.
Der räumliche Geltungsbereich der Bebauungsplanänderung erfasst folgende Grundstücke: Gemarkung Oberhausen; Flur 2, Flurst.-Nrn. 303 tlw., 304, 305, 306, 307, 308/1, 308/2, 309/1, 309/2, 310/1, 310/2, 311, 313 und Flur 6, Flurst.-Nrn. 43, 137 tlw.

Oberhausen, den 17.02.2023
Axel May, Ortsbürgermeister